Родные В.И. Ленина - Тюрисевя-ские дачники?
Модераторы: автодоктор, Vladimir S. Kotlyar
-
- Сообщения: 4142
- Зарегистрирован: Пн сен 28, 2009 7:55 pm
- Защита от спама: Нет
Родные В.И. Ленина - Тюрисевя-ские дачники?
Очень давно, выискивая по крупицам в сов. изданиях инф-ю о истории перешейка, в книге Григория Самойловича Усыскина (1987г.) по революц. истории этих мест, прочитал о проживании в 1910-11гг. близ Териок матери и сестер Ленина.
Лета 1910 и 1911г сестра Ленина Мария провела в Ино, на даче В.А. Савельева, "бэбиситерствуя" с его детьми. А мать Мария Ал-дровна и сестра Анна летом 1910г. жили на хуторе Леппенено... (см. Текст) Будучи знакомым с топонимикой Териок, меня смутила географич. привязка хутора - близ Симагино (с. 254). Тем более, что из текста на с. 253 следовало, что предполагали мать с дочерью жить ближе к морю и к Марии, т.е. к Ино...
Лет 5 назад на одной краеведческой тусовке я познакомился с автором (Г.С.) и, вспомнив о Леппенено, высказал свои сомнения о его истинном местонахождении. Ответ мэтра, с учетом серьезности темы и персонажей, меня озадачил. "Все может быть", примерно так ответил мне Г.С. Позже мне стал известен текст Указа 1948г о переименовании насел. пунктов Курортного р-на, где в "составе" Ушково значились Тюрисевя и Леппяненя. А недавно в адресе найденной почт. карточки, я обнаружил подтверждение связи хутора с Тюрисевя: Тюрсово, 9-я верста, Лепенино, дача Иванова (адрес привожу). Видимо, что Леппенено-Леппяненя-Лепенино это один и тот же пункт, "часть" Тюрисевя. Получается, что в сезон 1910г. Мария Александровна Ульянова и Анна Ильинична были в числе дачников Тюрисевя!? Если это так, то достойно упомянания в информационных материалах о местности. Почему бы и нет...
Лета 1910 и 1911г сестра Ленина Мария провела в Ино, на даче В.А. Савельева, "бэбиситерствуя" с его детьми. А мать Мария Ал-дровна и сестра Анна летом 1910г. жили на хуторе Леппенено... (см. Текст) Будучи знакомым с топонимикой Териок, меня смутила географич. привязка хутора - близ Симагино (с. 254). Тем более, что из текста на с. 253 следовало, что предполагали мать с дочерью жить ближе к морю и к Марии, т.е. к Ино...
Лет 5 назад на одной краеведческой тусовке я познакомился с автором (Г.С.) и, вспомнив о Леппенено, высказал свои сомнения о его истинном местонахождении. Ответ мэтра, с учетом серьезности темы и персонажей, меня озадачил. "Все может быть", примерно так ответил мне Г.С. Позже мне стал известен текст Указа 1948г о переименовании насел. пунктов Курортного р-на, где в "составе" Ушково значились Тюрисевя и Леппяненя. А недавно в адресе найденной почт. карточки, я обнаружил подтверждение связи хутора с Тюрисевя: Тюрсово, 9-я верста, Лепенино, дача Иванова (адрес привожу). Видимо, что Леппенено-Леппяненя-Лепенино это один и тот же пункт, "часть" Тюрисевя. Получается, что в сезон 1910г. Мария Александровна Ульянова и Анна Ильинична были в числе дачников Тюрисевя!? Если это так, то достойно упомянания в информационных материалах о местности. Почему бы и нет...
- Вложения
-
- Image0007.JPG (73.03 КБ) 3082 просмотра
-
- Image0002.JPG (151.08 КБ) 3082 просмотра
-
- Image0001.JPG (145.92 КБ) 3082 просмотра
- abravo
- Site Admin
- Сообщения: 32131
- Зарегистрирован: Ср дек 24, 2003 12:35 pm
- Откуда: Зеленогорск/Terijoki
- Контактная информация:
Re: Родные В.И. Ленина - Тюрисевя-ские дачники?
Очень интересно и безусловно заслуживает упоминания.Сергей Ренни писал(а):Очень давно, выискивая по крупицам в сов. изданиях инф-ю о истории перешейка, в книге Григория Самойловича Усыскина (1987г.) по революц. истории этих мест, прочитал о проживании в 1910-11гг. близ Териок матери и сестер Ленина.
Лета 1910 и 1911г сестра Ленина Мария провела в Ино, на даче В.А. Савельева, "бэбиситерствуя" с его детьми. А мать Мария Ал-дровна и сестра Анна летом 1910г. жили на хуторе Леппенено... (см. Текст) Будучи знакомым с топонимикой Териок, меня смутила географич. привязка хутора - близ Симагино (с. 254). Тем более, что из текста на с. 253 следовало, что предполагали мать с дочерью жить ближе к морю и к Марии, т.е. к Ино...
Лет 5 назад на одной краеведческой тусовке я познакомился с автором (Г.С.) и, вспомнив о Леппенено, высказал свои сомнения о его истинном местонахождении. Ответ мэтра, с учетом серьезности темы и персонажей, меня озадачил. "Все может быть", примерно так ответил мне Г.С. Позже мне стал известен текст Указа 1948г о переименовании насел. пунктов Курортного р-на, где в "составе" Ушково значились Тюрисевя и Леппяненя. А недавно в адресе найденной почт. карточки, я обнаружил подтверждение связи хутора с Тюрисевя: Тюрсово, 9-я верста, Лепенино, дача Иванова (адрес привожу). Видимо, что Леппенено-Леппяненя-Лепенино это один и тот же пункт, "часть" Тюрисевя. Получается, что в сезон 1910г. Мария Александровна Ульянова и Анна Ильинична были в числе дачников Тюрисевя!? Если это так, то достойно упомянания в информационных материалах о местности. Почему бы и нет...
Мне кажется, что дача Савельева в районе Ино недавно где-то упоминалась. Не в обсуждении ли карточки, в которой был "навигатор", как раз в том направлении, в Пески? Вечером посмотрю внимательно.
-
- Сообщения: 430
- Зарегистрирован: Пн мар 08, 2010 11:17 am
- Защита от спама: Нет
Re: Родные В.И. Ленина - Тюрисевя-ские дачники?
В книге Кяхёнен "Прежние Терийоки" в главе о Тюрисевя сказано: "Леппяненя (по церковным записям Леппяниеми) находилось между берегом моря и высоким уступом. Прибрежное шоссе проходило через него, это родные места Иконенов, Какко, Сиркия". Это место в Ушково в р-не автобусной остановки 7км. Там дача детского дома №40, государственные социальные дачи. Есть там и старые дома, в т.ч и на берегу. Леппяниеми можно перевести как "Ольховый мыс", так мне подсказал А.К.Молчанов. Ну а на горе известный нагорный бульвар Корниш и парк Корниш, где располагалось дачное владение Орловского Тойвола. О даче Катерины Лясонен ничего не знаю.
Re: Родные В.И. Ленина - Тюрисевя-ские дачники?
Я так понимаю, что Леппяненя административно относилась к Ваммельсуу. Это 7-е участки. Но ни в журнале межевания, ни в описании проживавших в Ваммельсуу на uusikirkko.eu фамилии Лясонен не обнаружено. Явное искажение.
Re: Родные В.И. Ленина - Тюрисевя-ские дачники?
Однако, в Ваммельсуу были люди с фамилией Лаасонен. И в том числе проживавшие в 7-х участках. Есть даже Катри Лаасонен, но вот где именно жила она в Ваммельсуу - неизвестно. В журнале межевания ее нет.Osbourne писал(а): Вс июл 12, 2020 8:20 pm Я так понимаю, что Леппяненя административно относилась к Ваммельсуу. Это 7-е участки. Но ни в журнале межевания, ни в описании проживавших в Ваммельсуу на uusikirkko.eu фамилии Лясонен не обнаружено. Явное искажение.
https://katiha.xamk.fi/View.action?item ... ow=default
Re: Родные В.И. Ленина - Тюрисевя-ские дачники?
Нашел мужа и девичью фамилию Катри и выяснилось, что они-таки жили в 7-х участках. Значит, с большой вероятностью мать и сестра Ленина жили в доме Катрины Лаасонен. Но вот где конкретно в Леппяненя был ее дом? Не знаю.Osbourne писал(а): Вс июл 12, 2020 10:09 pmОднако, в Ваммельсуу были люди с фамилией Лаасонен. И в том числе проживавшие в 7-х участках. Есть даже Катри Лаасонен, но вот где именно жила она в Ваммельсуу - неизвестно. В журнале межевания ее нет.Osbourne писал(а): Вс июл 12, 2020 8:20 pm Я так понимаю, что Леппяненя административно относилась к Ваммельсуу. Это 7-е участки. Но ни в журнале межевания, ни в описании проживавших в Ваммельсуу на uusikirkko.eu фамилии Лясонен не обнаружено. Явное искажение.
https://katiha.xamk.fi/View.action?item ... ow=default
Катрина Суси (1850-1924) родом из Метсякюля, в 1872 году вышла замуж за Вильгельма Лаасонена (1841-1892) родом из Куолемаярви.
Re: Родные В.И. Ленина - Тюрисевя-ские дачники?
Нашел Катри Суси.Osbourne писал(а): Пн июл 13, 2020 2:11 amНашел мужа и девичью фамилию Катри и выяснилось, что они-таки жили в 7-х участках. Значит, с большой вероятностью мать и сестра Ленина жили в доме Катрины Лаасонен. Но вот где конкретно в Леппяненя был ее дом? Не знаю.Osbourne писал(а): Вс июл 12, 2020 10:09 pmОднако, в Ваммельсуу были люди с фамилией Лаасонен. И в том числе проживавшие в 7-х участках. Есть даже Катри Лаасонен, но вот где именно жила она в Ваммельсуу - неизвестно. В журнале межевания ее нет.Osbourne писал(а): Вс июл 12, 2020 8:20 pm Я так понимаю, что Леппяненя административно относилась к Ваммельсуу. Это 7-е участки. Но ни в журнале межевания, ни в описании проживавших в Ваммельсуу на uusikirkko.eu фамилии Лясонен не обнаружено. Явное искажение.
https://katiha.xamk.fi/View.action?item ... ow=default
Катрина Суси (1850-1924) родом из Метсякюля, в 1872 году вышла замуж за Вильгельма Лаасонена (1841-1892) родом из Куолемаярви.
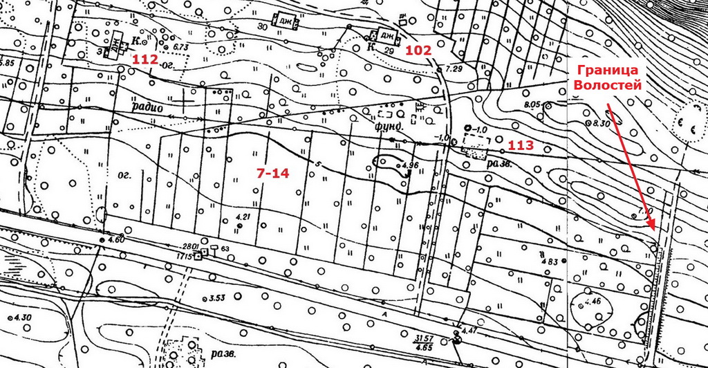
Маленький участок №7-15 0.3 га, выделенный вместе с №7-14 2.97 га. 1897 год. 7-14 на карте есть, 7-15 - нет. Видимо, где-то рядом?
По uusikirkko.eu 7-14 - это №102, Калле Какко. Участок, который на карте без номера - №113, Каарле Тетри. Понятно, что это на 30-е годы, в то время как Катри Суси (Лаасонен) умерла в 1924-м. Так или иначе, ее участок где-то в этом районе, сразу после границы Тюрисевя/Ваммельсуу. Где-то тут: http://etomesto.com/map-peterburg_fin20 ... =60.199123

-
- Сообщения: 1068
- Зарегистрирован: Пн окт 03, 2016 1:51 pm
- Защита от спама: Нет
- Откуда: Нижняя Саксония
Re: Родные В.И. Ленина - Тюрисевя-ские дачники?
Vammelsuu palst. Ivanofka 7 14 Kondratjeff, Ivan Ivanovitsch
Suomen Virallinen Lehti02.01.1925 no 1
https://digi.kansalliskirjasto.fi/sanom ... 2&ocr=true
Suomen Virallinen Lehti02.01.1925 no 1
https://digi.kansalliskirjasto.fi/sanom ... 2&ocr=true
Re: Родные В.И. Ленина - Тюрисевя-ские дачники?
Только сейчас сообразил - открытка в заглавном сообщении темы - на дачу Иванова. Участок 7-14 и принадлежал Федору Иванову.
Он обозначен даже на карте Федотова. А потом видимо был куплен Кондратьевым.
