Терийокские дачи и не только

Обсуждение истории и краеведческих вопросов и материалов о Зеленогорске/Териоках и окружающей местности

Модераторы: автодоктор, Vladimir S. Kotlyar

Ответить
Корвенкюля
Сообщения: 3700
Зарегистрирован: Чт окт 20, 2011 9:52 pm
Защита от спама: Нет

Re: Терийокские дачи и не только

Сообщение Корвенкюля »

abravo писал(а): Пн мар 18, 2024 9:36 pm
Корвенкюля писал(а): Пн мар 18, 2024 3:07 am Доброй ночи.
Дачи Конрада Рейнеке в Новых Местах района Оллинпяя – уч.5-162.
Хакулинская ул. (Уусикату; Лиственная (*) ул.) здания 14-16 / Новая ул.1-3-5-7.
Папочка - https://terijoki.spb.ru/photos/index.php?/category/3837
И на карте - https://terijoki.spb.ru/old_dachi/terij ... 2&item=316
Доброе утро.
Есть небольшие дополнения.
В части дач Рейнеке располагался пансионат «Лепоранта», и одна из дач, ранее не отмеченная на карте, оказалась подлинная, попала на фото.
Лепоранта г-жи Тойвио 1936 -.jpg
Лепоранта г-жи Тойвио 1936 -.jpg (126.84 КБ) 2785 просмотров
Тойвио дом на фото 1936г..jpg
Тойвио дом на фото 1936г..jpg (341.8 КБ) 2785 просмотров



Одним из наиболее известных в Оллинпяя были пансионат «Лепоранта», работавший более 20 лет.
Владелица - Тююне Тойвио, ее муж Эверт и дети Аулис и Майя-Лииса.

Тююне-Мария Тойвио (урожд. Тяхтинен) (1891-1970).
Эверт-Артур Тойвио (1885-?).
Они оба были членами Хельсинского отделения «Ассоциации Эпворт», там и познакомились. (Это организация молодежи Методистской церкви).

Эверт Тойвио служил по тюремному ведомству.
Сверхштатный чиновник дома предварительного заключения Гельсингфорса.
С 1915г. служит бухгалтером и зав. хоз.частью тюрьмы провинции Оулу.
После 1918г. вернулся служить в Хельсинки; главный бухгалтер.
С конца 1920-х гг. в отставке, член жилищных товариществ различных зданий Хельсинки, выборный управляющий зданиями.
С этого же времени семья организовала в Терийоках пансионат.
Летний сезон семья живет в Терийоках.

Реклама появляется с 1929г.
1929г. «В самом красивом месте Терийок, около бывшей Ривьеры, предлагаются виллы Тойворанта и Лепоранта с полным пансионом. Прямо на пляже, в красивом парке с цементными дорожками и площадкой для игры в крокет.
г-жа Тойвио Хельсинки Манеесикату 2а»
1930г. «Вилла Лепоранта в Терийоках рядом с Ривьерой, прямо на берегу, посреди прекрасных сосен, меблированные номера с хорошими кроватями для короткого или длительного пребывания. Сауна и поле для игры в мяч.
Г-жа Тойвио, Хельсинки, Манеесикату 2 а С, с 1 июня Терийоки, Уусикату.»
И т.д.... в разные годы появляются различные изюминки в текстах, типа
«... обширный берег с золотистым песком прямо у калитки. Цена 30-35 марок в день, от 2-х месяцев пребывания - по 25 марок.»

1936г. «Пансионат г-жи Тойвио.
(почтовый адрес Терийоки, Оллинпяя, вилла Лепоранта; телеграф Терийоки, Тойвио; тел. Терийоки №75. Адрес владельца зимой - Хельсинки, Линнанкату 5 А 7, тел. 26 259)
Расположен в сосновом лесу на берегу моря. До станции Терийоки 3 км. Открыт с 1 июня до 31 августа. В пансионате 8 комнат и 16 спальных мест.
Полный пансион 30/40 марок в день. Имеется электроосвещение, общая гостиная, граммофон, сауна. Песчаный пляж находится совсем рядом, теннисный корт - по соседству. Владелица г-жа Тююне Тойвио».
Лепоранта Тойвио 1929-1937гг..jpg
Лепоранта Тойвио 1929-1937гг..jpg (372.77 КБ) 2785 просмотров
Лепоранта г-жи Тойвио 1936.jpg
Лепоранта г-жи Тойвио 1936.jpg (313.89 КБ) 2785 просмотров


Другая владелица бывшего участка Рейнеке видимо вдова художника.
Ида-Мария Густавовна Форсберг (1874- ?), в 1895г. ее мужем стал Микко Миконп. Хойкка (1875-1916) художник.
К сожалению, данных об этой семье пока нет.
Аватара пользователя
abravo
Site Admin
Сообщения: 32719
Зарегистрирован: Ср дек 24, 2003 12:35 pm
Откуда: Зеленогорск/Terijoki
Контактная информация:

Re: Терийокские дачи и не только

Сообщение abravo »

Корвенкюля писал(а): Сб мар 23, 2024 4:26 am
abravo писал(а): Пн мар 18, 2024 9:36 pm
Корвенкюля писал(а): Пн мар 18, 2024 3:07 am Доброй ночи.
Дачи Конрада Рейнеке в Новых Местах района Оллинпяя – уч.5-162.
Хакулинская ул. (Уусикату; Лиственная (*) ул.) здания 14-16 / Новая ул.1-3-5-7.
Папочка - https://terijoki.spb.ru/photos/index.php?/category/3837
И на карте - https://terijoki.spb.ru/old_dachi/terij ... 2&item=316
Доброе утро.
Есть небольшие дополнения.
В части дач Рейнеке располагался пансионат «Лепоранта», и одна из дач, ранее не отмеченная на карте, оказалась подлинная, попала на фото.
Добрый день.
Спасибо! Папочку дополнил.
Корвенкюля
Сообщения: 3700
Зарегистрирован: Чт окт 20, 2011 9:52 pm
Защита от спама: Нет

Re: Терийокские дачи и не только

Сообщение Корвенкюля »

abravo писал(а): Пт фев 02, 2024 10:32 pm Фотографии из архива В.Н. Макшина 1976 и 2009 годов, сделанные на территории детского санатория "Ласточка" в Зеленогорске.
Все фотографии в альбоме - https://terijoki.spb.ru/photos/index.php?/category/3824 , все фотографии 1976г. и часть фотографий 2009г.
...
Доброе утро.
В тему дач на территории бывш. санатория "Ласточка"
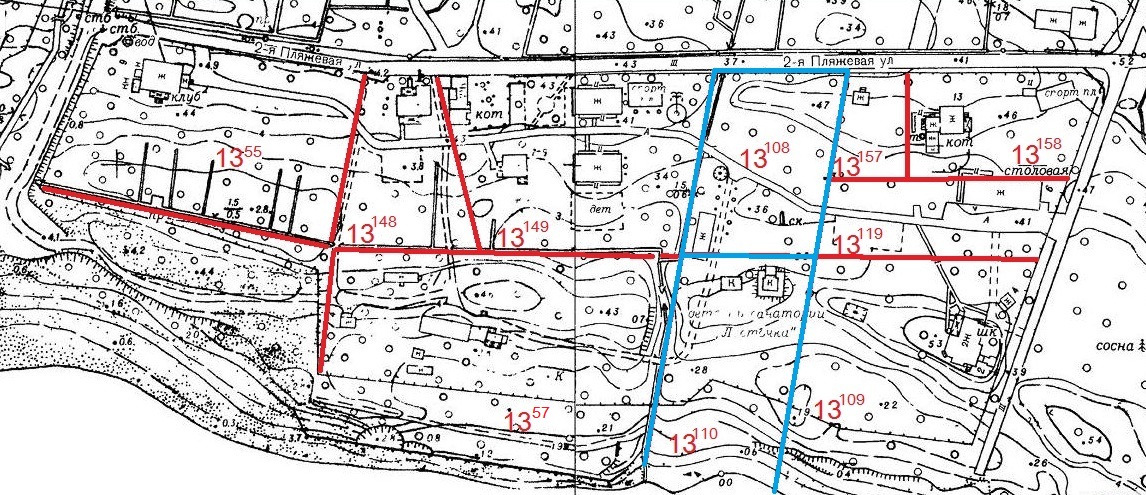
Самый маленький участок из имевшихся был у Рихарда Вахтера, уч.13-157. Видимо, и дача была небольшая.
О владельце пока мало что известно.
Рихард Адольфович Вахтер держал сапожную мастерскую, а его брат Оскар торговал обувью.
Предположительно у Оскара Адольфовича Вахтера была дача в Куоккале.
Р.А.Вахтер сдавал дачу, по адресу дачи по Казенной ул. имеется открытка.

На территории сохранялась предположительно дворницкая. Фундамент был точечный гранитный с перегородками из кирпича.
Вложения
дача Вахтера уч.13-157 (терр. сан.Ласточка).jpg
дача Вахтера уч.13-157 (терр. сан.Ласточка).jpg (375.54 КБ) 2729 просмотров
дача Вахтера дворницкая 2009 уч.13-157.jpg
дача Вахтера дворницкая 2009 уч.13-157.jpg (346.87 КБ) 2729 просмотров
дача Вахтера дворницкая 2011 уч.13-157 - .jpg
дача Вахтера дворницкая 2011 уч.13-157 - .jpg (585.23 КБ) 2729 просмотров
дача Вахтера открытка.jpg
дача Вахтера открытка.jpg (245.45 КБ) 2729 просмотров
Корвенкюля
Сообщения: 3700
Зарегистрирован: Чт окт 20, 2011 9:52 pm
Защита от спама: Нет

Re: Терийокские дачи и не только

Сообщение Корвенкюля »

Доброй ночи.
А рядом с маленькой дачей Вахтера располагался большой участок (из двух частей,13-108 и 13-110) купца Иванова.
По фото этот участок нам давно известен, вилла Алексея Ивановича Иванова и его наследников. Это семья родственная известному клану Шитовых.

дача Иванова уч.13-108 13-110 (терр. сан.Ласточка) .jpg
дача Иванова уч.13-108 13-110 (терр. сан.Ласточка) .jpg (376 КБ) 2680 просмотров
уч.13-108 и 13-110 Мюллера и Обуховой.jpg
уч.13-108 и 13-110 Мюллера и Обуховой.jpg (270.42 КБ) 2680 просмотров
уч.13-108 и 13-110  наследников А.И.Иванова 1925г. .jpg
уч.13-108 и 13-110 наследников А.И.Иванова 1925г. .jpg (24.92 КБ) 2680 просмотров
дача Иванова Казен.ул. maxim-terijoki.jpg
дача Иванова Казен.ул. maxim-terijoki.jpg (84.92 КБ) 2680 просмотров
дача Иванова Казенная ул. Terijoki_Ivanov-1.jpg
дача Иванова Казенная ул. Terijoki_Ivanov-1.jpg (106.06 КБ) 2680 просмотров
дача Иванова Terijoki_Ivanov-2.jpg
дача Иванова Terijoki_Ivanov-2.jpg (133.71 КБ) 2680 просмотров



Алексей Иванович Иванов (1871-до1925), потомственный почетный гражданин, купец 1 и 2 гильдий. Унаследовал отцовское дело по оптовой торговле полотном.
Его женой была Валентина Алексеевна (урожд. Шитова) (1877 Сарапул-1942 Л-д).
Известные их дети: Сергей, Татьяна, Валентина, Борис.
Иванов Алексей Иванович 1905, 1910, 1913.jpg
Иванов Алексей Иванович 1905, 1910, 1913.jpg (420.46 КБ) 2680 просмотров
Иванова-Шитова Валентина Алексеевна.jpg
Иванова-Шитова Валентина Алексеевна.jpg (268.56 КБ) 2680 просмотров



«из материала о семье Шитовых» https://terijoki.spb.ru/%2F/old_dachi/t ... owners.php
«…на Казенной улице в Терийоках была построена дача семьи Ивановых. Алексей Иванович Иванов, муж Валентины Алексеевны (ур. Шитовой), потомственный почетный гражданин, купец 1 гильдии, торговал тканями в Большом Гостином дворе. Он был известен и как благотворитель: А. И. Иванов пожертвовал бронзовое золоченое паникадило о 16 свечах Духовской церкви в Келломяках, и паникадило в византийском стиле, изготовленное в Петербурге фирмой Морозова, Казанской церкви в Терийоках».

Отец Алексея Ивановича - Иван Федорович Иванов (1845-ок.1905) потомственный почетный гражданин, купец 2 гильдии; торговал полотном в Гостином Дворе в магазинах №№96 и 97.
В 1900-х гг. взял в дело сына «в полном товариществе»; фирма полотняной торговли «И.Ф.Иванов и сын».
Домовладелец, доходные дома Забалканский пр. 37/1 и Английский пр. 29/28.
Иванов Иван Федотович отец 1902.jpg
Иванов Иван Федотович отец 1902.jpg (40.2 КБ) 2680 просмотров


Алексей Иванович Иванов продал отцовские дома в 1909-10г. на Забалканском пр.37/1, и в 1911-12г. на Английском пр.19/28, и купил дом на Моховой 16 (т.н. дом Шмидта).

Большая вилла Иванова, изображенная на нескольких открытках, к 1940г. не сохранилась. Видимо она была продана навывоз наследниками еще в 1920-х гг.

На старых фотографиях виден необычайно высокий гранитный цоколь виллы выше человеческого роста.
Этот цоколь отмечен на карте 1980г., а его остатки использовались как погреб-склад санатория.
Единственное сохранявшееся на участках Иванова здание было расположено строго вдоль границы участка у ручья, видимо это было здание служб, впоследствии перестроенное под жилье персонала санатория, аналогично конюшням соседней дачи Смита, где также проживали сотрудники.
Вложения
участок Иванова слева (ручей сан.Ласточка 2009).jpg
участок Иванова слева (ручей сан.Ласточка 2009).jpg (529.63 КБ) 2680 просмотров
Аватара пользователя
abravo
Site Admin
Сообщения: 32719
Зарегистрирован: Ср дек 24, 2003 12:35 pm
Откуда: Зеленогорск/Terijoki
Контактная информация:

Re: Терийокские дачи и не только

Сообщение abravo »

Корвенкюля писал(а): Вт мар 26, 2024 4:03 am Доброй ночи.
А рядом с маленькой дачей Вахтера располагался большой участок (из двух частей,13-108 и 13-110) купца Иванова.
По фото этот участок нам давно известен, вилла Алексея Ивановича Иванова и его наследников. Это семья родственная известному клану Шитовых.
Добрый вечер.
Спасибо! Да, несколько фотографий этой виллы у нас есть давно, но привязки к местности не было. Здорово.
Обухова и Мюллер, надо полагать, наследники? Как-то у них крест-накрест участки названы, у Обуховой "Мюллерила 1 и 2", у Мюллера "Обухова 1 и 2" :)

Папочка по вилле А.И. Иванова - https://terijoki.spb.ru/photos/index.php?/category/3840
На карте - https://terijoki.spb.ru/old_dachi/terij ... p?item=318

Папочка по даче Р. Вахтера - https://terijoki.spb.ru/photos/index.php?/category/3839
На карте - https://terijoki.spb.ru/old_dachi/terij ... p?item=317
Аватара пользователя
abravo
Site Admin
Сообщения: 32719
Зарегистрирован: Ср дек 24, 2003 12:35 pm
Откуда: Зеленогорск/Terijoki
Контактная информация:

Re: Терийокские дачи и не только

Сообщение abravo »

abravo писал(а): Вт авг 17, 2021 2:38 pm Вопрос по пансионату "Вирола", а точнее по семейству Гейнрихсен-Мальм.

У нас в справке по ссылке выше, возможно, то ли опечатка, то ли ошибка.
1) Пансионат построила в 1910 г. вдова купца 2-й гильдии Салли-Кристина Александровна Мальм (урожд. Гейнрихсен) (1848 Ревель-после 1917).
2) Ее родители - полковник Александр Георгиевич Гейнрихсен, (1857 Ревель-1903 СПб)...

То есть год рождения Салли-Кристины раньше, чем год рождения ее отца. Даже с учетом того, что для жены полковника это был второй брак, все равно быть такого не может.

Похоже, что путаница все же не в семье Мальм, а в семье Гейнрихсенов. У мужа и жены в семье Мальм примерно одинаковый возраст ( он 1841, она - 1848 г.р.).
А.Г.Гейнрихсен (1856-1904) был женат на разведенной супруге полковника И.С.Зыкова и был младше супруги на 2 года. Это проверено по мемуарной литературе - тут нет ошибок.
Т.е. получается, если даты верны, что либо Салли-Кристина Мальм (ур.Гейнрихсен) была удочерена им, либо это его сестра, либо однофамилица.
Выяснилась, спасибо коллегам, путаница с родителями Салли-Кристины Александровны Мальм. Она 1848 года рождения, а в справке у нас ее отцом был указан полковник Александр Георгиевич Гейнрихсен 1857 (или 1856) года рождения.

Так вот, Салли-Кристина Мальм, урожденная Гейнрихсен (20.12.1848, Ревель - 7.1.1917, Санкт-Петербург)
А родители у нее были другие: коллежский секретарь Александр Гейнрихсен из Ревеля и Тереза Елизавета, урождённая фон Сиверс.
Метрика с указанием родителей Салли вот здесь размещена https://spslc.ru/burial-places/malm-konstantin.html , так что тут сомнений нет.

По нашей справке в связи с этим есть еще один вопрос. У нас написано: "Супруги Мальм проживали на 2-й линии В.О., 19 в собственном доме. А соседними домами 17 и 17А владели родители Салли, А.Г. и Е.И. Гейнрихсен."
Хорошо бы вспомнить источник информации о проживании "родителей" Салли. Если там проживали именно А.Г. и Е.И. Гейнрихсен, то это не родители Салли.
Корвенкюля
Сообщения: 3700
Зарегистрирован: Чт окт 20, 2011 9:52 pm
Защита от спама: Нет

Re: Терийокские дачи и не только

Сообщение Корвенкюля »

Доброй ночи.
О, это стародавняя история с Гейнрихсенами. С датой действительно тогда "ошибочка вышла". :D
Удивительно, что удалось раскопать это. Пробовал найти и так и сяк... видимо это на недоступных эстонских сайтах.
Да, сначала дом 19 приобрели на имя Салли Александровны Мальм-Гейрихсен, а потом дом 17а-б рядом купили на имя Екатерины Ивановны Зыковой-Гейнрихсен. Бывают конечно случайности, но все равно удивительно.

Кстати, в этой запутанной истории ошибался не только я, но и "Весь Петербург", который несколько лет поселял на 2-й линии 17 другую Екатерину Ивановну Гейнрихсен, полную тезку, урожденную Янову, жену/вдову доктора мед. Эдуарда Петровича Гейнрихсена.
Аватара пользователя
abravo
Site Admin
Сообщения: 32719
Зарегистрирован: Ср дек 24, 2003 12:35 pm
Откуда: Зеленогорск/Terijoki
Контактная информация:

Re: Терийокские дачи и не только

Сообщение abravo »

Корвенкюля писал(а): Вс мар 31, 2024 3:54 am Доброй ночи.
О, это стародавняя история с Гейнрихсенами. С датой действительно тогда "ошибочка вышла". :D
Удивительно, что удалось раскопать это. Пробовал найти и так и сяк... видимо это на недоступных эстонских сайтах.
Да, сначала дом 19 приобрели на имя Салли Александровны Мальм-Гейрихсен, а потом дом 17а-б рядом купили на имя Екатерины Ивановны Зыковой-Гейнрихсен. Бывают конечно случайности, но все равно удивительно.

Кстати, в этой запутанной истории ошибался не только я, но и "Весь Петербург", который несколько лет поселял на 2-й линии 17 другую Екатерину Ивановну Гейнрихсен, полную тезку, урожденную Янову, жену/вдову доктора мед. Эдуарда Петровича Гейнрихсена.
Доброе утро.
Какая распространенная оказалась фамилия :)
Спасибо, справку у нас поправил - https://terijoki.spb.ru/photos/index.php?/category/2398
Аватара пользователя
abravo
Site Admin
Сообщения: 32719
Зарегистрирован: Ср дек 24, 2003 12:35 pm
Откуда: Зеленогорск/Terijoki
Контактная информация:

Re: Терийокские дачи и не только

Сообщение abravo »

На архивной "полочке" - https://terijoki.spb.ru/old_dachi/od_archives.php -
Государственная историко-культурная экспертиза (ГИКЭ) выявленного объекта культурного наследия «Дом купца Елисеева (ресторан) (деревянный)» (дача Кирхнера), расположенного по адресу: Санкт-Петербург, город Зеленогорск, Приморское шоссе, дом 520, литера Ц с целью обоснованности (положительное заключение) или необоснованности (отрицательное заключение) включения объекта в Единый государственный реестр объектов культурного наследия (памятников истории и культуры) народов Российской Федерации.

Представленная ГИКЭ предполагает положительное заключение. ГИКЭ будет рассмотрена на рабочей группе 05.04.2024 и, в случае одобрения, "Дом купца Елисеева" наконец переименуют в "Дачу Кирхнера" и она станет объектом культурного наследия (ОКН) регионального значения.

Экспертиза выполнялась по заказа ООО "ИНТЕФ". Насколько я смог проследить это ООО связано с группой "Гинза", которая получила участки Кинга и Кирхнера под свой инвестиционный и ведет там сейчас работы.
autumn
Сообщения: 1347
Зарегистрирован: Вт ноя 09, 2010 8:51 pm
Защита от спама: Нет

Re: Терийокские дачи и не только

Сообщение autumn »

Привет всем! Продолжила походы в РГИА, прерванные ковидом и депрессиями.
Это фонд банковских ячеек, которые были вскрыты большевиками, ценности прибраны, а документы (к счастью не сожжены) а отданы в архив.
Нина Рогалева много работала с делами по недвижимости в Тюрисевя, а потому постараюсь не повторяться.
Сложностью является то, что дела по участкам в основном на финском языке, а на планах нет дат.
То есть, будем стараться что-то понять из довольно отрывочных сведений.

Бентковский.
РГИА 1102-1-338. Личные и имущественные дела А. К. Бентковского. 1881-1910.
Альфред Карлович Бентковский, статский советник, вице-директор II Департамента МИДа, тайный советник в 1914.
Был женат на Терезии Федоровне Бруни.
Их дети:
Альфред Карлович 24.10.1860,
Роберт Карлович 30.08.1868,
Виктор Карлович 22.03.1876,
Юлия Карловна 07.09.1865

Выпись о смерти матери Терезии Федоровны:
Выпись из католической церкви св. Екатерины о смерти: 13.05.1881 г. скончалась Анжелика Антоновна Бруни, вдова тайного советника на 70-м году жизни. Оставила сына Юлия Федоровича Бруни, дочерей Терезию Федоровну Бруни, в супружестве Бентковскую и Луизу Федоровну Бруни, в супружестве Бонафеде.

Теперь об участке в Терийоках:
Прошение вдовы архитектора Эммы Петровны Ломан.
В 1874 г. отведен был в арендное пользование управлением Артиллерийского ведомства архитектору Эрнесту Ивановичу Бушману участок земли в 2 десятины 14 саженей при деревне Терийоки. Впоследствии права этой аренды переданы г. Бушманом мне в августе 1879 г.
Ныне желаю передать принадлежащие мне права на арендное пользование сказанным участком действительному статскому советнику Бентковскому.
Передача земли состоялась за 1000 руб. (пока в аренде).
В 1883 г. желает приобрести землю в собственность.

Вокруг участка в собственности есть несколько участков, которые он берет в аренду. К примеру:
"При обмежевании в 1885 г. дачных земель в деревне Терийоки я, вдова Сарра Лангене, по мужу Лаукене, уступила господину действительному статскому советнику Бентковскому права на аренду участка, прилегающего к даче г. Бентковского в количестве 720 кв. саж., взамен чего мне отведен другой участок, примыкающий к прочей моей земле. Г. Бентковский обязуется уплатить 100 руб., перенести заборы и баню на свой счет и сверх того подарить мне корову". Терийоки, 6/18. 07. 1886.

Из плана видно, что соседями Бентковского были:
на востоке Эмма Ломан, на Севере Николай Шильдкнехт и Микко Лаукконен.
Если эти цифры имеют отношение к участку, то: основной участок (№287) в собственности, а его окружают взятые в аренду участки у крестьян Юкенен и Лауконе(н). №№286, 288, 290 и 291.

Какой-то участок купил в 1899 г. сосед через дорогу Алоизий Антонович Саваневский.
Введение в наследство Виктора Карловича Бентковского (бланк присяжного поверенного Б. Лагуса). 1910.
Как-то так...
Аватара пользователя
abravo
Site Admin
Сообщения: 32719
Зарегистрирован: Ср дек 24, 2003 12:35 pm
Откуда: Зеленогорск/Terijoki
Контактная информация:

Re: Терийокские дачи и не только

Сообщение abravo »

autumn писал(а): Вт апр 02, 2024 6:48 pm Привет всем! Продолжила походы в РГИА, прерванные ковидом и депрессиями.

Бентковский.
РГИА 1102-1-338. Личные и имущественные дела А. К. Бентковского. 1881-1910.
Альфред Карлович Бентковский, статский советник, вице-директор II Департамента МИДа, тайный советник в 1914.
Был женат на Терезии Федоровне Бруни.
Их дети:
Альфред Карлович 24.10.1860,
Роберт Карлович 30.08.1868,
Виктор Карлович 22.03.1876,
Юлия Карловна 07.09.1865
Добрый вечер.
Очень интересно. Только или я не понял, или тут некоторая путаница. Перечисленные выше дети, судя по отчеству, дети Карла Бентковского.
Терезия Фудоровна (урожд. Бруни) была женой Карла Бентковского или его сына Альфреда?
Похоже, что участки в Терийоках были все-таки изначально у Карла Бентковского, см. ниже.
autumn писал(а): Вт апр 02, 2024 6:48 pm Теперь об участке в Терийоках:

Из плана видно, что соседями Бентковского были:
на востоке Эмма Ломан, на Севере Николай Шильдкнехт и Микко Лаукконен.
Если эти цифры имеют отношение к участку, то: основной участок (№287) в собственности, а его окружают взятые в аренду участки у крестьян Юкенен и Лауконе(н). №№286, 288, 290 и 291.

Какой-то участок купил в 1899 г. сосед через дорогу Алоизий Антонович Саваневский.
Введение в наследство Виктора Карловича Бентковского (бланк присяжного поверенного Б. Лагуса). 1910.
По журналу межевания участки в Терийоках были именно у Карла Бентковского.
Участок 13-35 зарегистрирован в 1890 году. При этом соседние номера участков: 13-36 Саара Лауканнен, 13-37 и 13-38 Шильдкнехт, 13-39 и 13-40 Юлиус Бруни (что тоже неспроста). Видимо, 13-35 это и есть основной участок №287, соседи очень похожие.
Из участка 13-35 в 1900 году получилось два новых: 13-102 "Юлахови" остался за Карлом Бентковским, а 13-101 "Алахови" получил Алоизий Саваневский (все совпало).

Кроме того, у Карла Бентковского с 1904 года в Терийоках были участки 2-61 "Каарлола" с 1904 г. и 2-95 "Бентковский".

Сейчас поищу на карте, добавлю местоположения участков.
Нашел, это рядом с Гантовером ("Верхней Чародейкой"), западнее. Участки 13-101, 13-102 (бывш. 13-35), 2-61 и 2-95 - смежные, вот здесь - https://terijoki.spb.ru/old_dachi/terij ... ентковский
Это территория справа (если идти от Приморского шоссе вверх) от ул. Восстания (а слева пансионат "Балтийский берег") и там на карте видны небольшие постройки - дома 2 и 4А по ул. Восстания на участке 13-102 и дом 33 по ул. Артиллерийской на участке 13-101. Надо будет при случае посмотреть, может это службы какие остались.
Участки 13-36 Лауканнен, 13-37 Шильдкнехт и 13-39 Ю. Бруни - действительно все рядом. Участок Шильдкнехта - это где автобусная остановка и туалет :)
Корвенкюля
Сообщения: 3700
Зарегистрирован: Чт окт 20, 2011 9:52 pm
Защита от спама: Нет

Re: Терийокские дачи и не только

Сообщение Корвенкюля »

"Альфред Карлович Бентковский, статский советник, вице-директор II Департамента МИДа, тайный советник в 1914.
Был женат на Терезии Федоровне Бруни".
Добрый вечер.
Это опечатка, пропущены слова "Его отец Карл Феликсович Бентковский" Был женат на Терезии Федоровне Бруни.
https://ru.wikipedia.org/wiki/%D0%91%D0 ... 0%B8%D1%87
Почему-то Карл Бентковский тут указан как келломякский дачник.
autumn
Сообщения: 1347
Зарегистрирован: Вт ноя 09, 2010 8:51 pm
Защита от спама: Нет

Re: Терийокские дачи и не только

Сообщение autumn »

Путаница будет, конечно, потому как все документы перемешаны, не по годам и на разных языках. И в заглавии имя Альфреда, а большинство документов относится к его отцу, Карлу.
Терезия, конечно, жена Карла, тайного советника. На него и участки. У них дети Альфред, Роберт, Виктор и Юлия.
На мой взгляд, здесь интересно, что Терезия - урожденная Бруни. А участок Бруни впоследствии стал Кинга.
Аватара пользователя
abravo
Site Admin
Сообщения: 32719
Зарегистрирован: Ср дек 24, 2003 12:35 pm
Откуда: Зеленогорск/Terijoki
Контактная информация:

Re: Терийокские дачи и не только

Сообщение abravo »

autumn писал(а): Вт апр 02, 2024 11:46 pm Путаница будет, конечно, потому как все документы перемешаны, не по годам и на разных языках. И в заглавии имя Альфреда, а большинство документов относится к его отцу, Карлу.
Терезия, конечно, жена Карла, тайного советника. На него и участки. У них дети Альфред, Роберт, Виктор и Юлия.
На мой взгляд, здесь интересно, что Терезия - урожденная Бруни. А участок Бруни впоследствии стал Кинга.
С отцом разобрались, спасибо.
Да, связь с Бруни понятна. Но, про переход участка от Бруни к Кингу мне пока непонятно. Если речь об участке Кинга, который на берегу, то это изначально участок Уотинена. А по тем участкам Ю. Бруни 13-39 и 13-40, которые рядом с участком Бентковского у шоссе, перехода собственности к Кингу по журналам межевания не видно. Эти участки были поделены в 1914 году, но собственник не указан.
Корвенкюля
Сообщения: 3700
Зарегистрирован: Чт окт 20, 2011 9:52 pm
Защита от спама: Нет

Re: Терийокские дачи и не только

Сообщение Корвенкюля »

Добрый вечер.
Участки семьи Бруни - 13-39 выше шоссе и 13-40 ниже.
Потом 13-40 несколько раз поделили: 13-85 + 13-86=разделен.
Согласно карточке участка 13-85, его в 1917г. действительно купил Р.Р.Кинг. В 1917г.!

А береговой уч.2-1252 Бруни купили в только в 1914г. у Бруно Лагуса, известного перекупщика недвижимости, и продали тоже в 1917г. Кингу.
Вложения
=участки Бруни.jpg
=участки Бруни.jpg (428.56 КБ) 2340 просмотров
Ответить