
Терийокские дачи и не только
Модераторы: автодоктор, Vladimir S. Kotlyar
-
Сергей Ренни
- Сообщения: 4270
- Зарегистрирован: Пн сен 28, 2009 7:55 pm
- Защита от спама: Нет
Re: Терийокские дачи и не только
Териокская пастораль... Кто скажет, что не набережная... "Живописная Россия", 1901


- abravo
- Site Admin
- Сообщения: 32845
- Зарегистрирован: Ср дек 24, 2003 12:35 pm
- Откуда: Зеленогорск/Terijoki
- Контактная информация:
Re: Терийокские дачи и не только
Терийоки. Велопробег во время песенного праздника 1913 года.
Фотография сделана недалеко от перечения Верхней и Нижней Виертотие (пр. Ленина и Приморского шоссе).
Фото М. Г. Никитина. Из фондов музеев Лаппеенранты.
Слева видна аптека Корхонена, которая располагалась на перекрестке. Мастерская М. Г. Никитина располагалась через пару домов после аптеки. Так что снимал он почти от своей мастерской.

Фотография сделана недалеко от перечения Верхней и Нижней Виертотие (пр. Ленина и Приморского шоссе).
Фото М. Г. Никитина. Из фондов музеев Лаппеенранты.
Слева видна аптека Корхонена, которая располагалась на перекрестке. Мастерская М. Г. Никитина располагалась через пару домов после аптеки. Так что снимал он почти от своей мастерской.

-
Сергей Ренни
- Сообщения: 4270
- Зарегистрирован: Пн сен 28, 2009 7:55 pm
- Защита от спама: Нет
Re: Терийокские дачи и не только
Шикарное фото! Спасибо!
-
Сергей Ренни
- Сообщения: 4270
- Зарегистрирован: Пн сен 28, 2009 7:55 pm
- Защита от спама: Нет
Re: Терийокские дачи и не только
Коллеги! Не дает мне покоя один момент, связанный с историей отеля "Казино" у яхт-клуба.
Не так давно, перебирая наследие Никитина, заметил интересную деталь - привожу фрагменты 2х открыток с одинаковым ракурсом. Обе не датированы. Но первую можно отнести к 1913 (+-), а вот вторую -?, но ясно, что до 1917. На второй - отсутствует башня гостиницы, и, скорее всего, это не результат, допустим, пожара. Ощущение, что аккуратно демонтировали. Зачем, когда? Наличие в кадре сестры милосердия, и (вне фрагмента) аж 4-х военнослужащих в форме, говорит, скорее всего, о 1915-1916. Не могло быть, что башню, как потенциальный объект с которого возможно наблюдение за фортами кронштадтской крепости, приказали снести?


Не так давно, перебирая наследие Никитина, заметил интересную деталь - привожу фрагменты 2х открыток с одинаковым ракурсом. Обе не датированы. Но первую можно отнести к 1913 (+-), а вот вторую -?, но ясно, что до 1917. На второй - отсутствует башня гостиницы, и, скорее всего, это не результат, допустим, пожара. Ощущение, что аккуратно демонтировали. Зачем, когда? Наличие в кадре сестры милосердия, и (вне фрагмента) аж 4-х военнослужащих в форме, говорит, скорее всего, о 1915-1916. Не могло быть, что башню, как потенциальный объект с которого возможно наблюдение за фортами кронштадтской крепости, приказали снести?


- nukola2
- Сообщения: 964
- Зарегистрирован: Вс фев 04, 2018 11:06 pm
- Защита от спама: Нет
- Откуда: Санкт-Петербург
Re: Терийокские дачи и не только
На сайте есть довольно подробное описание этого места. Может поможет с датами.https://terijoki.spb.ru/old_dachi/terij ... Yacht-club Можно вспомнить, как версия, и несколько сильных штормов 5 декабря 1913 года, осенью 1924 года...которые разрушили строения на берегу.
Николай.Здоровья,удачи!
- abravo
- Site Admin
- Сообщения: 32845
- Зарегистрирован: Ср дек 24, 2003 12:35 pm
- Откуда: Зеленогорск/Terijoki
- Контактная информация:
Re: Терийокские дачи и не только
Эта статья на 95% сделана из материалов ув. Сергея Ренни. Поэтому на сегодняшний день она, к сожалению, в ответе на поставленный вопрос не поможет.nukola2 писал(а): Пн авг 25, 2025 7:24 pm На сайте есть довольно подробное описание этого места. Может поможет с датами.https://terijoki.spb.ru/old_dachi/terij ... Yacht-club Можно вспомнить, как версия, и несколько сильных штормов 5 декабря 1913 года, осенью 1924 года...которые разрушили строения на берегу.
-
isl
- Сообщения: 2138
- Зарегистрирован: Пн ноя 15, 2010 9:55 pm
- Защита от спама: Нет
- Контактная информация:
Re: Терийокские дачи и не только
Фабрика акционерного общества Terijoen Kotelo Oy
Акционерное общество Terijoen Kotelo Oy ("Териокская упаковка") было учреждено в 1929 году и официально зарегистрировано в 1930-м. Первоначальный уставной капитал составил 120 тыс. марок (120 акций по 1000 марок каждая). В первоначальный состав совета директоров вошли известные жители поселка: И. Лахтихарью (председатель), Я.А. Сеппянен (заместитель председателя), А.Е. Корхонен, С. Сипиляйнен и Х. Блом (секретарь), Э. Паяри (заместитель члена совета директоров). Уставными целями компании значились осуществление фабричного производства и торговли бумажной и картонной продукцией, а также владение, продажа и управление недвижимостью. При этом создатели компании объявляли в прессе, что основной задачей общества является не получение прибыли, а создание рабочих мест для местного финского населения в условиях экономического кризиса.
Стоит напомнить, что в близлежащей Райволе существовало две (а затем и три) упаковочные фабрики. В Териоках действовал филиал одной из этих фабрик (Зорина).
Для создания нового производства (непосредственно им руководил К. Сиркка) акционерное общество приобрело и приспособило существовавший дом на Виертотие рядом с финской школой (№33 по Кяхёнен). Оборудование было закуплено в Лейпциге. В цехах могло разместиться до 250 человек.
Uusi Suomi, 14.09.1930 "Поддержите промышленность перешейка". Одно из первых рекламных объявлений компании. Karjala, 16.12.1930 Рекламное объявление с логотипом компании. Kannaksen lehti, 01.05.1931
Акционерное общество Terijoen Kotelo Oy ("Териокская упаковка") было учреждено в 1929 году и официально зарегистрировано в 1930-м. Первоначальный уставной капитал составил 120 тыс. марок (120 акций по 1000 марок каждая). В первоначальный состав совета директоров вошли известные жители поселка: И. Лахтихарью (председатель), Я.А. Сеппянен (заместитель председателя), А.Е. Корхонен, С. Сипиляйнен и Х. Блом (секретарь), Э. Паяри (заместитель члена совета директоров). Уставными целями компании значились осуществление фабричного производства и торговли бумажной и картонной продукцией, а также владение, продажа и управление недвижимостью. При этом создатели компании объявляли в прессе, что основной задачей общества является не получение прибыли, а создание рабочих мест для местного финского населения в условиях экономического кризиса.
Стоит напомнить, что в близлежащей Райволе существовало две (а затем и три) упаковочные фабрики. В Териоках действовал филиал одной из этих фабрик (Зорина).
Для создания нового производства (непосредственно им руководил К. Сиркка) акционерное общество приобрело и приспособило существовавший дом на Виертотие рядом с финской школой (№33 по Кяхёнен). Оборудование было закуплено в Лейпциге. В цехах могло разместиться до 250 человек.
Uusi Suomi, 14.09.1930 "Поддержите промышленность перешейка". Одно из первых рекламных объявлений компании. Karjala, 16.12.1930 Рекламное объявление с логотипом компании. Kannaksen lehti, 01.05.1931
- abravo
- Site Admin
- Сообщения: 32845
- Зарегистрирован: Ср дек 24, 2003 12:35 pm
- Откуда: Зеленогорск/Terijoki
- Контактная информация:
Re: Терийокские дачи и не только
В журнале межевания участок 13-259 зарегистрирован за Terijoen Kotelo OY в 1931 году.isl писал(а): Вс авг 31, 2025 5:39 pm Фабрика акционерного общества Terijoen Kotelo Oy
Акционерное общество Terijoen Kotelo Oy ("Териокская упаковка") было учреждено в 1929 году и официально зарегистрировано в 1930-м.
А в 1935 году участок разделили - часть осталась у упаковочной фабрики, а часть отошла муниципалитету.
Это вот здесь - https://terijoki.spb.ru/old_dachi/terij ... t=Terijoen Kotelo OY
-
isl
- Сообщения: 2138
- Зарегистрирован: Пн ноя 15, 2010 9:55 pm
- Защита от спама: Нет
- Контактная информация:
Re: Терийокские дачи и не только
Муниципалитет выкупил землю для прокладки дороги от школы к ранее приобретенным муниципалитетом участкам.abravo писал(а): Вс авг 31, 2025 9:23 pm А в 1935 году участок разделили - часть осталась у упаковочной фабрики, а часть отошла муниципалитету.
-
isl
- Сообщения: 2138
- Зарегистрирован: Пн ноя 15, 2010 9:55 pm
- Защита от спама: Нет
- Контактная информация:
Re: Терийокские дачи и не только
Небольшое уточнение и дополнение по кинотеатру "Калева".
Сейчас в справке написано: "В 1935 г. Альфред-Ялмар Аунио, владелец Терийокского колбасного завода, купил на Виертотие напротив кирхи дом с маленьким участком «по размеру фундамента». Он открыл в нем кинотеатр "Калева"."
Дата уже противоречит альбому, потому что там есть снимки 1933 года. Кинотеатр, видимо, был открыт в 1927-м. По крайней мере, в 1937 в Kannaksen lehti была напечатана фотография в честь десятилетия кинотеатра.
Kannaksen lehti, 26.02.1937
И просьба проставить тэг #Сельская_архитектура_1918-1944
Сейчас в справке написано: "В 1935 г. Альфред-Ялмар Аунио, владелец Терийокского колбасного завода, купил на Виертотие напротив кирхи дом с маленьким участком «по размеру фундамента». Он открыл в нем кинотеатр "Калева"."
Дата уже противоречит альбому, потому что там есть снимки 1933 года. Кинотеатр, видимо, был открыт в 1927-м. По крайней мере, в 1937 в Kannaksen lehti была напечатана фотография в честь десятилетия кинотеатра.
Kannaksen lehti, 26.02.1937
И просьба проставить тэг #Сельская_архитектура_1918-1944
- abravo
- Site Admin
- Сообщения: 32845
- Зарегистрирован: Ср дек 24, 2003 12:35 pm
- Откуда: Зеленогорск/Terijoki
- Контактная информация:
Re: Терийокские дачи и не только
Папочка - https://terijoki.spb.ru/photos/index.php?/category/4193isl писал(а): Вс авг 31, 2025 5:39 pm Фабрика акционерного общества Terijoen Kotelo Oy
Акционерное общество Terijoen Kotelo Oy ("Териокская упаковка") было учреждено в 1929 году и официально зарегистрировано в 1930-м. Первоначальный уставной капитал составил 120 тыс. марок (120 акций по 1000 марок каждая). В первоначальный состав совета директоров вошли известные жители поселка: И. Лахтихарью (председатель), Я.А. Сеппянен (заместитель председателя), А.Е. Корхонен, С. Сипиляйнен и Х. Блом (секретарь), Э. Паяри (заместитель члена совета директоров). Уставными целями компании значились осуществление фабричного производства и торговли бумажной и картонной продукцией, а также владение, продажа и управление недвижимостью. При этом создатели компании объявляли в прессе, что основной задачей общества является не получение прибыли, а создание рабочих мест для местного финского населения в условиях экономического кризиса.
Стоит напомнить, что в близлежащей Райволе существовало две (а затем и три) упаковочные фабрики. В Териоках действовал филиал одной из этих фабрик (Зорина).
Для создания нового производства (непосредственно им руководил К. Сиркка) акционерное общество приобрело и приспособило существовавший дом на Виертотие рядом с финской школой (№33 по Кяхёнен). Оборудование было закуплено в Лейпциге. В цехах могло разместиться до 250 человек.
На карте - https://terijoki.spb.ru/old_dachi/terij ... p?item=559
-
Корвенкюля
- Сообщения: 3747
- Зарегистрирован: Чт окт 20, 2011 9:52 pm
- Защита от спама: Нет
Re: Терийокские дачи и не только
Доброе утро.isl писал(а): Вс авг 31, 2025 10:52 pm Небольшое уточнение и дополнение по кинотеатру "Калева".
Сейчас в справке написано: "В 1935 г. Альфред-Ялмар Аунио, владелец Терийокского колбасного завода, купил на Виертотие напротив кирхи дом с маленьким участком «по размеру фундамента». Он открыл в нем кинотеатр "Калева"."
Дата уже противоречит альбому, потому что там есть снимки 1933 года. Кинотеатр, видимо, был открыт в 1927-м. По крайней мере, в 1937 в Kannaksen lehti была напечатана фотография в честь десятилетия кинотеатра.
Спасибо большое за уточнение. Все правильно.
Разночтения в финских источниках в датах действительно есть, это объясняется различиями даты покупки здания, даты регистрации, даты покупки участка и времени ремонта старого фасада, изменившего внешний вид здания. Раз уж дошли руки, исправим-дополним-уточним.
Да, основная биография Аунио будет в "Колбасной фабрике", можно сделать перекрестную ссылку. Чуть позже подготовлю по фабрике.
Вместо фразы «После 1917 г., а именно с 1923 г., участок Дальберга на Виертотие напротив кирхи неоднократно делился, кредиторы распродавали имущество Дальберга» :
После 1917 г. участок Дальберга на Виертотие напротив кирхи неоднократно делился, наследники делили и распродавали имущество.
Кинотеатр «Мулен-Руж» пустовал.
В 1922 г. его приобрел преподаватель Пекка Ройха с компаньонами, отремонтировал и организовал кинотеатр «Терийокское Кино / Терийоен Кино» (зарегистрирован в 1924 г.)
1-й сеанс 3 сентября 1922 г.
«Кинотеатр «Терийокское кино», долгое время закрытый, теперь выкуплен преподавателем Пеккой Ройха. Он полностью отремонтировал здание.
Театр даёт представления каждую среду и воскресенье с 5 до 10 вечера, а первое представление состоится сегодня в 6 вечера, когда будет показана на редкость захватывающая пьеса «Култаярви» (Золотое озеро). В спектаклях также будет музыкальное сопровождение. Мы очень рады популярности театра среди терийокских жителей».
Кинотеатр несколько раз менял владельцев, пока в апреле 1927 г. его не купил хозяин колбасного завода А.-Й.Аунио (зарегистрировал в 1930 г.), и назвал «Калева» в честь легендарного великана из Калевалы.
Интересно, что объявление 2 апреля 1927 г. еще о «Кино», а 12 апреля - уже о «Калева».
Не позднее 1935 г. Аунио выкупил участок 11-114 с кинотеатром из участка Дальбергов 11-86.
Кроме «Калевы», в 1930 г. Аунио построил с нуля здание кинотеатра в Койвисто, «Кинохалли» (регистрация в 1930 г.).
В 1934 г. оба кинотеатра, в Терийоках и Койвисто, некая Госкомиссия по кино признала полностью отремонтированными и образцовыми.
Аунио стал вице-директором Финской ассоциации владельцев кинотеатров.
- Вложения
-
- 1922 открытие Терий.Кино (влад.Ройха).jpg (158.7 КБ) 998 просмотров
-
- 1924.08. Терийоен кино Ройха и Ко .jpg (419.5 КБ) 998 просмотров
-
- 1924.11. Терийоен кино Линстрёма.jpg (86.45 КБ) 998 просмотров
-
- 1927 9 янв. Терий.кино.jpg (217.93 КБ) 998 просмотров
-
- 1927 2 апр. Терий.кино.jpg (180.43 КБ) 998 просмотров
-
- 1927 12 апр. Калева.jpg (232.89 КБ) 998 просмотров
-
- 11-114 к-т Калева .jpg (336.94 КБ) 995 просмотров
- abravo
- Site Admin
- Сообщения: 32845
- Зарегистрирован: Ср дек 24, 2003 12:35 pm
- Откуда: Зеленогорск/Terijoki
- Контактная информация:
Re: Терийокские дачи и не только
Добрый вечер.Корвенкюля писал(а): Ср сен 03, 2025 3:55 am Доброе утро.
Спасибо большое за уточнение. Все правильно.
Разночтения в финских источниках в датах действительно есть, это объясняется различиями даты покупки здания, даты регистрации, даты покупки участка и времени ремонта старого фасада, изменившего внешний вид здания. Раз уж дошли руки, исправим-дополним-уточним.
Спасибо! Папочку по кинотеатру "Калева" обновил - https://terijoki.spb.ru/photos/index.php?/category/2648
-
Корвенкюля
- Сообщения: 3747
- Зарегистрирован: Чт окт 20, 2011 9:52 pm
- Защита от спама: Нет
Re: Терийокские дачи и не только
Добрый вечер.
Продолжим про Аунио. Кино для него было конечно увлечением, а не бизнесом.
Главное дело его жизни было «Мясо».
Альфред-Ялмар Альфредсс. Аунио (до 1914 г. Аллениус) (1893 Туусула - 1938 Выборг, похор. на кл.Хювинкяя), сын землевладельца-фермера. Предприниматель, заводчик, благотворитель.
Его женой в 1920 г. стала Айли-София Хююппяря (1899 Нурмиярви - 1939 Хельсинки), дочь Л.Й. Хююппяря, ставшего первым директором «Терийокой Колбасной фабрики».
Предприниматель удивительно разносторонних интересов.
Начал карьеру в дореволюционное время в Гельсингфорсе приказчиком в мясной лавке. Затем стал купцом - в 1915 г. в вол.Хаусъярви открыл мясную и продуктовую торговлю, управлял животноводческой фермой в Хювинкяя. А на 1918-19 гг. – «тюремщик» /сначала я подумал, что он арестант и его «посадили», по-шведски слова схожи, но нет, именно «тюремщик Хельсинкского арестантского дома». Все же вероятно он не прямой сотрудник охраны заключенных, а снабженец пищеблока тюремного ведомства). Миновав смутное время, вернулся к своей профессии мясника.
В 1922 г. Аунио переехал в Терийоки, где в 1923 г. организовал с тестем и партнерами «АО Терийокская колбасная фабрика», регистрация 1924 г. Вероятно его тесть Л.Хююппяря был основным финансовым вкладчиком, т.к. он возглавил 1-й совет директоров, Аунио был заместителем.
В 1935 г. Аунио выкупил доли у акционеров.
«В 1935 г. после передачи всех акций одному лицу «АО Терийокская колбасная фабрика» ликвидировано, название перешло к единоличному владельцу А.-Й.Аунио как «Терийокская колбасная фабрика».
Компания занимается переработкой, производством и торговлей всей продукцией пищевого сектора на промышленном уровне, а также владеет, продает и управляет недвижимостью для собственных нужд».
В 1937 г. Аунио разделил фирму, собственно колбасное производство сдал в аренду, а заготовку и продажу «сырого» мяса оставил себе.
«А.-Й. Аунио в 1937 г. передал колбасную фабрику господам Кауко-Калерво Сиверсу и Кости-Ансельму Хейнонену, под прежним названием. Производство и продажа колбасных изделий промышленным способом».
«Моим уважаемым клиентам я почтительно сообщаю, что с 1 числа сего месяца я сдал свою колбасную фабрику в аренду господам Хейнонену и Сиверсу. С уважением А.Й.Аунио.
Мы продолжим поступательное развитие фирмы и надеемся, что как профессионалы, знающие свое дело, и учитывая местные требования, мы завоюем популярность у наших уважаемых клиентов. С уважением К.Хейнонен и К.Сиверс.»
Подразделение «сырого» мяса Аунио в 1937 г. выделил в отдельную фирму «Мясо навырез» (мясо и бойня).
«На фабрике установлено полное производственное оборудование, включая жирорезку и костедробилку, что редко встречается на небольших предприятиях. Часть мяса забивается на собственной бойне».
Также Аунио стал председателем Мясной муниципальной инспекции Терийок.
Кроме предпринимательской деятельности «по мясу», Аунио в апреле 1927 г. (регистрация в 1930 г.) открыл кинотеатр в Терийоках «Калева» и позднее в Койвисто, «Кинохалли» (регистрация в 1930 г.) /ссылка на кинотеатр «Калева» https://terijoki.spb.ru/photos/index.php?/category/2648 /
Аунио входил в советы директоров нескольких терийокских АО:
Терийокский пивной и дрожжевой завод «Терийоен Туоте», Терийокская электрокомпания «Терийоен Сяхкё», Терийокская фабрика тары «Терийоен Котело».
Также с 1928 г. он был управляющим типографии газеты «Каннаксен Лехти» (принадлежавшей аптекарю Корхонену), а с 1937 г. стал владельцем этой типографии, да и вообще Аунио был спонсором и фактическим владельцем всей газеты «Каннаксен Лехти».
Аунио очень интересовался спортом, и был спонсором всех спортивных команд Терийок, а также некоторых команд в Хювинкяя и Хельсинки.
Он за свои деньги построил в Терийоках спортивный зал (т.н.Белый зал).
А.-Й. Аунио внезапно умер в Выборге во время лечения в больнице, куда он поступил на небольшую операцию.
Продолжим про Аунио. Кино для него было конечно увлечением, а не бизнесом.
Главное дело его жизни было «Мясо».
Альфред-Ялмар Альфредсс. Аунио (до 1914 г. Аллениус) (1893 Туусула - 1938 Выборг, похор. на кл.Хювинкяя), сын землевладельца-фермера. Предприниматель, заводчик, благотворитель.
Его женой в 1920 г. стала Айли-София Хююппяря (1899 Нурмиярви - 1939 Хельсинки), дочь Л.Й. Хююппяря, ставшего первым директором «Терийокой Колбасной фабрики».
Предприниматель удивительно разносторонних интересов.
Начал карьеру в дореволюционное время в Гельсингфорсе приказчиком в мясной лавке. Затем стал купцом - в 1915 г. в вол.Хаусъярви открыл мясную и продуктовую торговлю, управлял животноводческой фермой в Хювинкяя. А на 1918-19 гг. – «тюремщик» /сначала я подумал, что он арестант и его «посадили», по-шведски слова схожи, но нет, именно «тюремщик Хельсинкского арестантского дома». Все же вероятно он не прямой сотрудник охраны заключенных, а снабженец пищеблока тюремного ведомства). Миновав смутное время, вернулся к своей профессии мясника.
В 1922 г. Аунио переехал в Терийоки, где в 1923 г. организовал с тестем и партнерами «АО Терийокская колбасная фабрика», регистрация 1924 г. Вероятно его тесть Л.Хююппяря был основным финансовым вкладчиком, т.к. он возглавил 1-й совет директоров, Аунио был заместителем.
В 1935 г. Аунио выкупил доли у акционеров.
«В 1935 г. после передачи всех акций одному лицу «АО Терийокская колбасная фабрика» ликвидировано, название перешло к единоличному владельцу А.-Й.Аунио как «Терийокская колбасная фабрика».
Компания занимается переработкой, производством и торговлей всей продукцией пищевого сектора на промышленном уровне, а также владеет, продает и управляет недвижимостью для собственных нужд».
В 1937 г. Аунио разделил фирму, собственно колбасное производство сдал в аренду, а заготовку и продажу «сырого» мяса оставил себе.
«А.-Й. Аунио в 1937 г. передал колбасную фабрику господам Кауко-Калерво Сиверсу и Кости-Ансельму Хейнонену, под прежним названием. Производство и продажа колбасных изделий промышленным способом».
«Моим уважаемым клиентам я почтительно сообщаю, что с 1 числа сего месяца я сдал свою колбасную фабрику в аренду господам Хейнонену и Сиверсу. С уважением А.Й.Аунио.
Мы продолжим поступательное развитие фирмы и надеемся, что как профессионалы, знающие свое дело, и учитывая местные требования, мы завоюем популярность у наших уважаемых клиентов. С уважением К.Хейнонен и К.Сиверс.»
Подразделение «сырого» мяса Аунио в 1937 г. выделил в отдельную фирму «Мясо навырез» (мясо и бойня).
«На фабрике установлено полное производственное оборудование, включая жирорезку и костедробилку, что редко встречается на небольших предприятиях. Часть мяса забивается на собственной бойне».
Также Аунио стал председателем Мясной муниципальной инспекции Терийок.
Кроме предпринимательской деятельности «по мясу», Аунио в апреле 1927 г. (регистрация в 1930 г.) открыл кинотеатр в Терийоках «Калева» и позднее в Койвисто, «Кинохалли» (регистрация в 1930 г.) /ссылка на кинотеатр «Калева» https://terijoki.spb.ru/photos/index.php?/category/2648 /
Аунио входил в советы директоров нескольких терийокских АО:
Терийокский пивной и дрожжевой завод «Терийоен Туоте», Терийокская электрокомпания «Терийоен Сяхкё», Терийокская фабрика тары «Терийоен Котело».
Также с 1928 г. он был управляющим типографии газеты «Каннаксен Лехти» (принадлежавшей аптекарю Корхонену), а с 1937 г. стал владельцем этой типографии, да и вообще Аунио был спонсором и фактическим владельцем всей газеты «Каннаксен Лехти».
Аунио очень интересовался спортом, и был спонсором всех спортивных команд Терийок, а также некоторых команд в Хювинкяя и Хельсинки.
Он за свои деньги построил в Терийоках спортивный зал (т.н.Белый зал).
А.-Й. Аунио внезапно умер в Выборге во время лечения в больнице, куда он поступил на небольшую операцию.
- Вложения
-
- Альфред-Ялмар Аунио..jpg (743.33 КБ) 935 просмотров
-
- 1938 Аунио некрологи от семьи и ф-ки тары Котело.jpg (434.79 КБ) 935 просмотров
-
- 1914 смена фамилии (опечатка -Аллениус).jpg (53.31 КБ) 935 просмотров
-
- 1924 регистрация колбасной ф-ки.jpg (121.43 КБ) 935 просмотров
-
- 1928 Колбасная ф-ка.jpg (67.08 КБ) 935 просмотров
-
- 1935 колбасная ф-ка в частном владении Аунио.jpg (260.79 КБ) 935 просмотров
-
- 1937 Аунио сдал ф-ку в аренду.jpg (196.02 КБ) 935 просмотров
-
- 1937 колбасная ф-ка сдана в аренду.jpg (333.19 КБ) 935 просмотров
-
- 1928 типография апт.Корхонена. - управляющий Аунио.jpg (87.48 КБ) 935 просмотров
-
- 1937 фирмы Аунио.jpg (202.83 КБ) 935 просмотров
Последний раз редактировалось Корвенкюля Чт сен 04, 2025 6:59 pm, всего редактировалось 1 раз.
-
Корвенкюля
- Сообщения: 3747
- Зарегистрирован: Чт окт 20, 2011 9:52 pm
- Защита от спама: Нет
Re: Терийокские дачи и не только
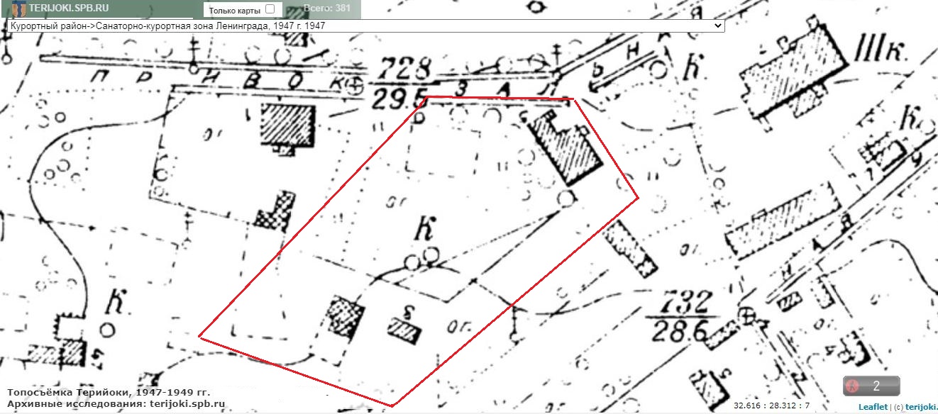
И по расположению колбасной фабрики. Она находилась на уч. 11-65 - 11-67 на Каннаксенкату (современной Привокзальной ул.), участках дд. №3 и №5. Одно из зданий Терийокской колбасной фабрики пережило обе войны, отмечено на карте 1947 г. (на картах 1962 и 1972 гг. дом выглядит уже несколько перестроенным).
Также на участке отмечен фундамент большого здания и 2 небольших здания под №3.
Также на участке отмечен фундамент большого здания и 2 небольших здания под №3.