Терийокские дачи и не только
Модераторы: автодоктор, Vladimir S. Kotlyar
-
- Сообщения: 3604
- Зарегистрирован: Чт окт 20, 2011 9:52 pm
- Защита от спама: Нет
Re: Терийокские дачи и не только
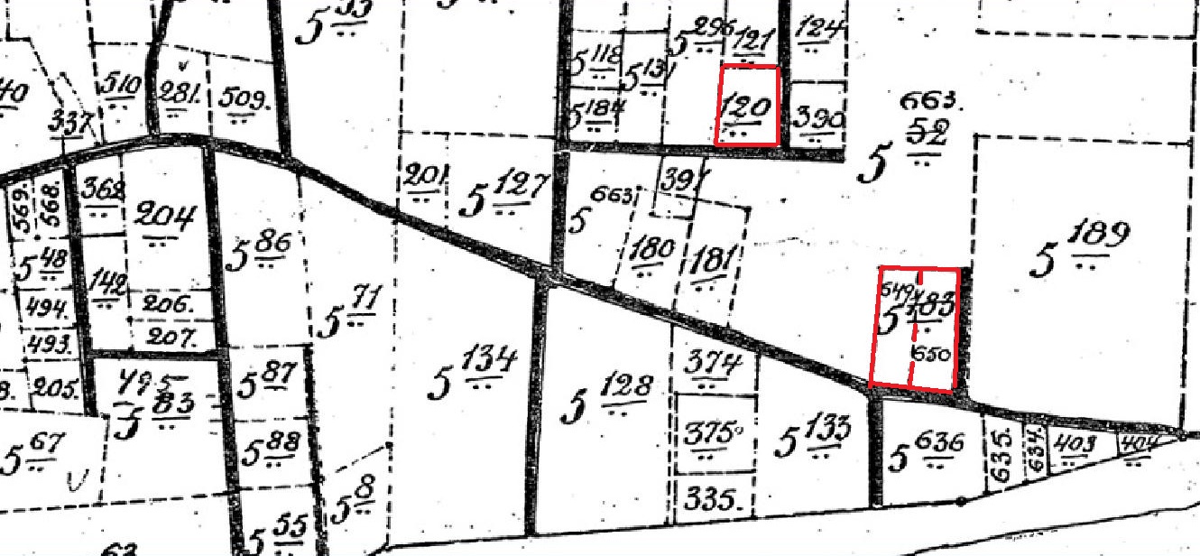
2. Лопатникова, уч.5-120.
Зинаида Васильевна Лопатникова.
Ее мужем был Эммануил Никифорович Лопатников, мелкий служащий Т.Д."Нобель", к 1917г. дослужился до небольшого чина Титулярный советник. Известны дочери Елизавета и Зинаида.
Единственный здешний дом, который пережил войну. На карте 1980г. виден дом с террасой (или здание меньших размеров на большем фундаменте).
Зинаида Васильевна Лопатникова.
Ее мужем был Эммануил Никифорович Лопатников, мелкий служащий Т.Д."Нобель", к 1917г. дослужился до небольшого чина Титулярный советник. Известны дочери Елизавета и Зинаида.
Единственный здешний дом, который пережил войну. На карте 1980г. виден дом с террасой (или здание меньших размеров на большем фундаменте).
- abravo
- Site Admin
- Сообщения: 32133
- Зарегистрирован: Ср дек 24, 2003 12:35 pm
- Откуда: Зеленогорск/Terijoki
- Контактная информация:
Re: Терийокские дачи и не только
Добрый день.Корвенкюля писал(а): Пт май 26, 2023 2:10 am Доброй ночи.
Огромный участок 5-52, практически "парцелла" 100га, принадлежала Ивану Григорьевичу Торкачеву и его компаньону.
Лопатникова владела лишь уч.5-120 на этой улице.
Можно создать папочку типа "дачи Торкачева на Лопатниковской ул."... Кстати, на карте эта улица - Лопатинская.
Рядом Торкачевская и Хмелевская.
Лопатниковская/Лопатинская ул. - Вяликату (Промежуточная ул.) - Садовая ул.
Хмелевская ул. - Хумалакату (Хмелевая ул.) – Спортивная ул.
Да, с 5-52 я не в ту графу посмотрел.
Но, у Зинаиды Лопатниковой там был не только участок 5-120, но еще 5-183:
Терийоки Mäkelä 1905-09-21 5-52 5-183 Sateja, pals., 5-52a Sinaida Lapatnikova Лопатникова Зинаида 0,86
-
- Сообщения: 3604
- Зарегистрирован: Чт окт 20, 2011 9:52 pm
- Защита от спама: Нет
Re: Терийокские дачи и не только
Добрый день.
Ну, я имел в виду Лопатинскую улицу, о ней шла речь. А на шоссе да, был еще участок.
Ну, я имел в виду Лопатинскую улицу, о ней шла речь. А на шоссе да, был еще участок.
Re: Терийокские дачи и не только
Лопатников был во всех смыслах сосед Андрея Андреевича Мажара - коллеги по работе, жили в одном доме, оказывается еще и дачи у них были недалеко друг от друга.Корвенкюля писал(а): Пт май 26, 2023 3:07 am Зинаида Васильевна Лопатникова.
Ее мужем был Эммануил Никифорович Лопатников, мелкий служащий Т.Д."Нобель"
- abravo
- Site Admin
- Сообщения: 32133
- Зарегистрирован: Ср дек 24, 2003 12:35 pm
- Откуда: Зеленогорск/Terijoki
- Контактная информация:
Re: Терийокские дачи и не только
Я сообщения про Мажара перенес в эту, терийокскую, тему. А то они в Уусикирке потеряются, там все же в основном про дачу Мажаров в Терийоках.djaha писал(а): Пт май 26, 2023 2:44 pmЛопатников был во всех смыслах сосед Андрея Андреевича Мажара - коллеги по работе, жили в одном доме, оказывается еще и дачи у них были недалеко друг от друга.Корвенкюля писал(а): Пт май 26, 2023 3:07 am Зинаида Васильевна Лопатникова.
Ее мужем был Эммануил Никифорович Лопатников, мелкий служащий Т.Д."Нобель"
- abravo
- Site Admin
- Сообщения: 32133
- Зарегистрирован: Ср дек 24, 2003 12:35 pm
- Откуда: Зеленогорск/Terijoki
- Контактная информация:
Re: Дачи Терийоки
Папочка по даче Мажара в Терийоках - https://terijoki.spb.ru/photos/index.php?/category/3649djaha писал(а): Вс май 21, 2023 2:04 am Андрей Андреевич Мажар (Andreas Simon Mazsar/Majar)
(7.08.1854 - 26.08.1912)
бухгалтер завода “Людвиг Нобель”, член и казначей Петербургского общества распространения ремесленного образования среди бедного населения, один из покровителей Антониевского народного хора.
Согласно журналам межевания Андрей А. Мажар был владельцем участка в Терийоки, Mäkelä, 1906-09-14, 5-163, 5-248, Mazar, pals., c, Andrei Mazsar Мацар (Мажар) Андрей, 0,28
И точку на карте поставил - https://terijoki.spb.ru/old_dachi/terij ... 2&item=273
- abravo
- Site Admin
- Сообщения: 32133
- Зарегистрирован: Ср дек 24, 2003 12:35 pm
- Откуда: Зеленогорск/Terijoki
- Контактная информация:
Re: Терийокские дачи и не только
Добрый вечер.Корвенкюля писал(а): Пт май 26, 2023 2:10 am Доброй ночи.
Огромный участок 5-52, практически "парцелла" 100га, принадлежала Ивану Григорьевичу Торкачеву и его компаньону.
Лопатникова владела лишь уч.5-120 на этой улице.
Можно создать папочку типа "дачи Торкачева на Лопатниковской ул."... Кстати, на карте эта улица - Лопатинская.
Папочка "Дачи Торкачева на Лопатниковской ул." - https://terijoki.spb.ru/photos/index.php?/category/3650
До меня только сейчас дошло, что в надписи на карте 1909 г. "Дачные участки Г. Г. ФИЛИППОВА ТОРКАЧЕВА", "Г. Г." это не ошибочные инициалы Филиппова, а "господ"

Re: Терийокские дачи и не только
Добавлю немного о Лопатниковых.
Эммануил Никифорович Лопатников (ок.1867-7.05.1921 СПб), сын кронштадтского мещанина Никифора Никитича Лопатникова (ок.1828 - 1.03.1901 СПб). Свою карьеру Эммануил Никифорович по-видимому начинал в полиции Петербруга - в 1893 году он служил околоточным надзирателем столичной полиции (уволился не ранее октября 1897 года).
Его супруга Зинаида Васильевна урожд. Бабушкина (6.10.1878 (?) - апрель 1942 Ленинград), дочь кронштадтского мещанина Василия Демидовича Бабушкина (ок.1831 -29.01.1903 СПб) и Ксении Михайловны (Львовой?, 1845 - 23.01.1920 СПб).
* По данным блокадной Книги памяти и прописки 30х годов Зинаида родилась в 1878 году, а в записи о браке (заключен в октябре 1893) ей 18 лет, т.е. родилась около 1875 года. Для обоих супругов брак первый
Дети:
Елизавета Эммануиловна (24.08.1894 - ?). Получила музыкальное образование в Петроградской консерватории (1918), ученица профессора Калантаровой. В начале 1920х съехала от родителей на ул. Белинского. Занималась преподаванием музыки (рояль), последнее известное место ее работы - Академия русского балета имени А. Я. Вагановой. Во время войны эвакуировалась, дальнейшая судьба не установлена.
Зинаида Эммануиловна (31.07.1902 - ?). Мало что известно, второй муж - Голованов Степан Владимирович (1888-?), брак расторгнут в 1925 году. До развода проживала с мужем на ул. Белинского, в соседнем с сестрой доме.
Родителям Зинаиды Васильевны принадлежал (по большей части в документах владельцем числится только Ксения Михайловна) двухэтажный дом на 11 квартир по ул. Корпусной 24. В этом доме семья Лопатниковых жили после свадьбы, потом сменили несколько адресов в районе Б. Сампсониевского, к 1911 году вернулись обратно и прожили там до начала 20х. После 17го года дом был национализирован, за бывшими владельцами осталось две квартиры - в №4 жили Лопатниковы и Ксения Михайловна, а в №8 сестра Зинаиды Васильевны Анастасия с сыном и невесткой.
В неустановленное время (полагаю в начале 20х после смерти мужа) Зинаида Васильевна на какое-то время уезжала в Москву, вернувшись обратно в 1925 она поселилась у своей дочери Елизаветы, где и жила вплоть до войны. Умерла во время блокады Ленинграда, похоронена на Пискаревском кладбище.
Эммануил Никифорович Лопатников (ок.1867-7.05.1921 СПб), сын кронштадтского мещанина Никифора Никитича Лопатникова (ок.1828 - 1.03.1901 СПб). Свою карьеру Эммануил Никифорович по-видимому начинал в полиции Петербруга - в 1893 году он служил околоточным надзирателем столичной полиции (уволился не ранее октября 1897 года).
Его супруга Зинаида Васильевна урожд. Бабушкина (6.10.1878 (?) - апрель 1942 Ленинград), дочь кронштадтского мещанина Василия Демидовича Бабушкина (ок.1831 -29.01.1903 СПб) и Ксении Михайловны (Львовой?, 1845 - 23.01.1920 СПб).
* По данным блокадной Книги памяти и прописки 30х годов Зинаида родилась в 1878 году, а в записи о браке (заключен в октябре 1893) ей 18 лет, т.е. родилась около 1875 года. Для обоих супругов брак первый
Дети:
Елизавета Эммануиловна (24.08.1894 - ?). Получила музыкальное образование в Петроградской консерватории (1918), ученица профессора Калантаровой. В начале 1920х съехала от родителей на ул. Белинского. Занималась преподаванием музыки (рояль), последнее известное место ее работы - Академия русского балета имени А. Я. Вагановой. Во время войны эвакуировалась, дальнейшая судьба не установлена.
Зинаида Эммануиловна (31.07.1902 - ?). Мало что известно, второй муж - Голованов Степан Владимирович (1888-?), брак расторгнут в 1925 году. До развода проживала с мужем на ул. Белинского, в соседнем с сестрой доме.
Родителям Зинаиды Васильевны принадлежал (по большей части в документах владельцем числится только Ксения Михайловна) двухэтажный дом на 11 квартир по ул. Корпусной 24. В этом доме семья Лопатниковых жили после свадьбы, потом сменили несколько адресов в районе Б. Сампсониевского, к 1911 году вернулись обратно и прожили там до начала 20х. После 17го года дом был национализирован, за бывшими владельцами осталось две квартиры - в №4 жили Лопатниковы и Ксения Михайловна, а в №8 сестра Зинаиды Васильевны Анастасия с сыном и невесткой.
В неустановленное время (полагаю в начале 20х после смерти мужа) Зинаида Васильевна на какое-то время уезжала в Москву, вернувшись обратно в 1925 она поселилась у своей дочери Елизаветы, где и жила вплоть до войны. Умерла во время блокады Ленинграда, похоронена на Пискаревском кладбище.
- abravo
- Site Admin
- Сообщения: 32133
- Зарегистрирован: Ср дек 24, 2003 12:35 pm
- Откуда: Зеленогорск/Terijoki
- Контактная информация:
Re: Терийокские дачи и не только
Спасибо! Справку дополнил - https://terijoki.spb.ru/photos/index.php?/category/3650
Объявление по ведомству учреждений Имп. Марии - это из какого издания?
Re: Терийокские дачи и не только
Это Сенатские ведомости
- abravo
- Site Admin
- Сообщения: 32133
- Зарегистрирован: Ср дек 24, 2003 12:35 pm
- Откуда: Зеленогорск/Terijoki
- Контактная информация:
Re: Терийокские дачи и не только
Понял, спасибо.
-
- Сообщения: 3604
- Зарегистрирован: Чт окт 20, 2011 9:52 pm
- Защита от спама: Нет
Re: Терийокские дачи и не только
Добрый вечер.
Очень интересно ! У Лопатникова необычная биография.
Значит, он был околоточным... Околоточный - это полицейский "унтер-офицер", по выходе в отставку получал чин XIV класса, Коллежский регистратор. Но получается, Лопатников ушел со службы без чина. А чин получил позднее, по Вед.имп.Марии
В "сети" написано, что при крупных предприятиях с большим кол-вом рабочих были "прикрепленные" околоточные.
Вероятно, Лопатников как раз и служил при тов-ве "Нобель". Однако с датой "уволился не ранее октября 1897 года" сложно.
Потому что никак не позднее 1897г. Лопатников уже числился артельщиком, полноценным членом биржевой артели Томсона, с 1898г. трансформировавшейся в "Российскую артель". А по уставам полным членом биржевой артели нельзя было стать одномоментно, там были сложные правила "входа", входных выплат "на круг"... и т.д.
Наверное потребовался минимум год, чтобы превратиться из полицейского в кассира.
Будучи артельщиком, Лопатников служил кассиром в одной из фирм семьи Нобель - "Механическом чугуно-стале-медно-литейном и котельном заводе "Людвиг Нобель"". Управляющим и бухгалтером здесь были наши дачники Бартмер и Мажар.
Дача Лопатниковой на Лопатинской/Лопатниковской ул. сохранилась в хорошем состоянии.
Непонятны только функции и состояние террасы, видной на карте 1980г.
И вторая дача Лопатниковой отлично сохранилась...
Мда. Надо переписать папочку. https://terijoki.spb.ru/photos/index.php?/category/1856
Это другой участок Лопатниковой 5-183 «Затея».
Информацию Кяхёнен о принадлежности участка некоему Архарову, а от него Эюрю как всегда нужно перепроверять. Видимо, Кяхёнен перепутала Архарова с Аронсоном, и дом Эюрю ошибочно отнесла на уч.Аронсона.
А Зинаида Лопатникова как раз продала часть своего участка 5-183, уч.5-649 с синей дачей - Йохану Эюрю , вторую часть 5-650 оставила за собой. Это 1926г., и непонятно, как Лопатникова, проживая в Ленинграде, продала часть участка.
Йоханнес Эсанп. Эюрю (1894-?) родом из Ахъярви, сын небогатого домовладельца Эсы Томасс. Эюрю (1853-1907).
Маленькая ферма досталась старшим братьям, и Йоханнес значится "безземельным".
В 1915г. его женой стала Анна Степановна Михайлова (1893-?) уроженка Псковской губ., дочь землевладельцев.
Брак был заключен по православному и лютеранскому обрядам.
В честь жены «Иван Исаевич Ойур» /так в документе/ переименовал дачу «Затея» в дачу «Анино».
Видимо, супруги Эюрю купили дачу не для проживания, а для сдачи в аренду.
Здесь небольшой пансионат устроила односельчанка Эюрю по Ахъярви - Адель Кокки (урожд. Туре) (1888-1943 Хельсинки), жена механика.
Очень интересно ! У Лопатникова необычная биография.
Значит, он был околоточным... Околоточный - это полицейский "унтер-офицер", по выходе в отставку получал чин XIV класса, Коллежский регистратор. Но получается, Лопатников ушел со службы без чина. А чин получил позднее, по Вед.имп.Марии
В "сети" написано, что при крупных предприятиях с большим кол-вом рабочих были "прикрепленные" околоточные.
Вероятно, Лопатников как раз и служил при тов-ве "Нобель". Однако с датой "уволился не ранее октября 1897 года" сложно.
Потому что никак не позднее 1897г. Лопатников уже числился артельщиком, полноценным членом биржевой артели Томсона, с 1898г. трансформировавшейся в "Российскую артель". А по уставам полным членом биржевой артели нельзя было стать одномоментно, там были сложные правила "входа", входных выплат "на круг"... и т.д.
Наверное потребовался минимум год, чтобы превратиться из полицейского в кассира.
Будучи артельщиком, Лопатников служил кассиром в одной из фирм семьи Нобель - "Механическом чугуно-стале-медно-литейном и котельном заводе "Людвиг Нобель"". Управляющим и бухгалтером здесь были наши дачники Бартмер и Мажар.
Дача Лопатниковой на Лопатинской/Лопатниковской ул. сохранилась в хорошем состоянии.
Непонятны только функции и состояние террасы, видной на карте 1980г.
И вторая дача Лопатниковой отлично сохранилась...
Мда. Надо переписать папочку. https://terijoki.spb.ru/photos/index.php?/category/1856
Это другой участок Лопатниковой 5-183 «Затея».
Информацию Кяхёнен о принадлежности участка некоему Архарову, а от него Эюрю как всегда нужно перепроверять. Видимо, Кяхёнен перепутала Архарова с Аронсоном, и дом Эюрю ошибочно отнесла на уч.Аронсона.
А Зинаида Лопатникова как раз продала часть своего участка 5-183, уч.5-649 с синей дачей - Йохану Эюрю , вторую часть 5-650 оставила за собой. Это 1926г., и непонятно, как Лопатникова, проживая в Ленинграде, продала часть участка.
Йоханнес Эсанп. Эюрю (1894-?) родом из Ахъярви, сын небогатого домовладельца Эсы Томасс. Эюрю (1853-1907).
Маленькая ферма досталась старшим братьям, и Йоханнес значится "безземельным".
В 1915г. его женой стала Анна Степановна Михайлова (1893-?) уроженка Псковской губ., дочь землевладельцев.
Брак был заключен по православному и лютеранскому обрядам.
В честь жены «Иван Исаевич Ойур» /так в документе/ переименовал дачу «Затея» в дачу «Анино».
Видимо, супруги Эюрю купили дачу не для проживания, а для сдачи в аренду.
Здесь небольшой пансионат устроила односельчанка Эюрю по Ахъярви - Адель Кокки (урожд. Туре) (1888-1943 Хельсинки), жена механика.
Последний раз редактировалось Корвенкюля Ср май 31, 2023 2:49 pm, всего редактировалось 1 раз.
- abravo
- Site Admin
- Сообщения: 32133
- Зарегистрирован: Ср дек 24, 2003 12:35 pm
- Откуда: Зеленогорск/Terijoki
- Контактная информация:
Re: Терийокские дачи и не только
Добрый вечер.Корвенкюля писал(а): Вт май 30, 2023 9:54 pm Добрый вечер.
Очень интересно ! У Лопатникова необычная биография.
И вторая дача Лопатниковой отлично сохранилась...
Мда. Надо переписать папочку. https://terijoki.spb.ru/photos/index.php?/category/1856
Это другой участок Лопатниковой 5-183 «Затея».
Спасибо! Картинки по 5-120 добавлю сегодня, а текст и "Архарова" уже завтра, наверное

Надо будет как-нибудь заехать на Садовую, посмотреть на дачу Лопатникова живьем.
Re: Терийокские дачи и не только
Неизвестно в каком именно районе работал Лопатников, однако крестным обеих его дочек был Сенько-Поповский Константин Адольфович - письмоводитель 8 полицейского участка (ул. Гороховая) Московской части.Корвенкюля писал(а): Вт май 30, 2023 9:54 pm У Лопатникова необычная биография.
Значит, он был околоточным...
Полагаю, что еще был брат Лопатников Георгий Никифорович (30.04.1873 - ?): "Православный. В службу вступил 11.10.1890. Окончил С.-Петербургское пехотное юнкерское училище, выпущен подпрапорщиком в 90-й пехотный Онежский полк. Произведен в подпоручики (ВПр. 14.05.1896, Москва). На 1899 в тех же чине и полку. Произведен за выслугу лет в поручики, со ст. с 14.05.1900 (ВПр. 1.04.1901, СПб.). Произведен в штабс-капитаны со ст. с 14.05.1904 (ВПр. 10.09.1904). Переведен в 86-й пехотный Вильманстрандский полк (10.02.1905). Участвовал в Русско-Японской войне 1904 - 1905. Ранен. Капитан (ст. 1.05.1908). Зачислен в запас армейской пехоты по Петербургскому уезду (26.09.1912)." источник
Примерно с 1899 года Эммануил Никифорович жил в доме 31 по Б. Сампсониевскому (где уже обитал Мажар) и несколько лет по этому же адресу числится Георгий Никифорович. Не удивлюсь если Георгий найдется и среди дачников.
-
- Сообщения: 3604
- Зарегистрирован: Чт окт 20, 2011 9:52 pm
- Защита от спама: Нет
Re: Терийокские дачи и не только
В 1912г. капитан запаса Георгий Никифорович Лопатников поступил на службу "к старшему брату" в Ведомство учреждений Имп.Марии, смотрителем Имп.училища глухонемых на Гороховую18.
С 1914г. в гражданской службе он получил чин, следующий по рангу за капитаном, Надворный советник (=подполковник).
Его карьера не прерывалась, и он значительно опередил брата по чину. Проживал с супругой Ольгой Александровной на казенной квартире при училище.
"Казанская Церковь Терийок, крещение 11.08.1902г.
Лопатников Эммануил Никифорович, поч гр., СПб, и Зинаида Васильевна: дочь Зинаида.
Восприемники: Сенько-Поповский Константин Адольфович, ттс, и Ксения Михайловна Бабушкина, жена кронштадтского мещанина Василия Дмитриевича Бабушкина".
С 1914г. в гражданской службе он получил чин, следующий по рангу за капитаном, Надворный советник (=подполковник).
Его карьера не прерывалась, и он значительно опередил брата по чину. Проживал с супругой Ольгой Александровной на казенной квартире при училище.
"Казанская Церковь Терийок, крещение 11.08.1902г.
Лопатников Эммануил Никифорович, поч гр., СПб, и Зинаида Васильевна: дочь Зинаида.
Восприемники: Сенько-Поповский Константин Адольфович, ттс, и Ксения Михайловна Бабушкина, жена кронштадтского мещанина Василия Дмитриевича Бабушкина".