Комаровские дачи и не только
Модераторы: автодоктор, Vladimir S. Kotlyar
Re: Комаровские дачи и не только
Еще про д/о Комарово, когда он был д/о Работников прокуратуры и д/о Гос. Учреждений:
viewtopic.php?p=98316#p98316
viewtopic.php?p=98316#p98316
-
Корвенкюля
- Сообщения: 3697
- Зарегистрирован: Чт окт 20, 2011 9:52 pm
- Защита от спама: Нет
Re: Комаровские дачи и не только
Добрый день.
Спасибо, я все это читал. К сожалению, имеется только карта 1980г. Нет же карты например 1947г.
Коричневая дача на всех этих фото никак не похожа на дачу уч.Мэтцигера 1980г. Ну если ту снесли, а эту построили после 1980г....
Все может быть, вон к даче Карасимеонова после 1980г. пристроили два флигеля, в веранду снесли.
По Родзевичу. Строчные g и z даже в некоторых шрифтах пишутся похоже, а письменные - вообще одинаково.
Какой именно Родзевич, действительно неизвестно, я написал "возможно"; ведь значительную часть изъятых у "немцев" дач купили именно подрядчики.
Дачу на фото 1951г. определить не смог, по стилю похожа на дачу Куренкова, возможна еще одна дача имения Карасимеонова-Синицына.
Спасибо, я все это читал. К сожалению, имеется только карта 1980г. Нет же карты например 1947г.
Коричневая дача на всех этих фото никак не похожа на дачу уч.Мэтцигера 1980г. Ну если ту снесли, а эту построили после 1980г....
Все может быть, вон к даче Карасимеонова после 1980г. пристроили два флигеля, в веранду снесли.
По Родзевичу. Строчные g и z даже в некоторых шрифтах пишутся похоже, а письменные - вообще одинаково.
Какой именно Родзевич, действительно неизвестно, я написал "возможно"; ведь значительную часть изъятых у "немцев" дач купили именно подрядчики.
Дачу на фото 1951г. определить не смог, по стилю похожа на дачу Куренкова, возможна еще одна дача имения Карасимеонова-Синицына.
Re: Комаровские дачи и не только
Не сочтите за оффтоп, но "лишь только память потревожь мне...". В Рощинской средней школе в 60-70-х был учитель "трудовик"—Николай Болеславович Родзевич. В "Дорога Памяти участников ВОВ" https://1418museum.ru/heroes/42478054/ узнал его по фото. 1914 г.р., капитан/майор тех.службы, прошел войну в 23А ЛенФ. Вообще фамилия популярная: художник, скульптор, жертва сталинских репрессий, директор большого завода, инженер-металлург...Корвенкюля писал(а): Пн июн 09, 2025 2:00 pm Добрый день.
Спасибо, я все это читал. К сожалению, имеется только карта 1980г. Нет же карты например 1947г.
Коричневая дача на всех этих фото никак не похожа на дачу уч.Мэтцигера 1980г. Ну если ту снесли, а эту построили после 1980г....
Все может быть, вон к даче Карасимеонова после 1980г. пристроили два флигеля, в веранду снесли.
По Родзевичу. Строчные g и z даже в некоторых шрифтах пишутся похоже, а письменные - вообще одинаково.строчные g и z.jpg
Какой именно Родзевич, действительно неизвестно, я написал "возможно"; ведь значительную часть изъятых у "немцев" дач купили именно подрядчики.
Дачу на фото 1951г. определить не смог, по стилю похожа на дачу Куренкова, возможна еще одна дача имения Карасимеонова-Синицына.
- abravo
- Site Admin
- Сообщения: 32610
- Зарегистрирован: Ср дек 24, 2003 12:35 pm
- Откуда: Зеленогорск/Terijoki
- Контактная информация:
Re: Комаровские дачи и не только
Добрый вечер.Корвенкюля писал(а): Пн июн 09, 2025 2:00 pm Добрый день.
Дачу на фото 1951г. определить не смог, по стилю похожа на дачу Куренкова, возможна еще одна дача имения Карасимеонова-Синицына.
Остался вопрос - куда лучше отнести дачу Карасимеонова, к ул. Отдыха, Большому пр., Лесному пр.?
Мне вот кажется, что можно отнести к Лесному, ближайший проход/проезд к участку был от него.
Re: Комаровские дачи и не только
Юрий 42 писал(а): Пт июл 05, 2024 9:34 amОбратите внимание на интересную деталь--Вход в строение(ступени)расположен непосредственно с улицы!..Елизавета писал(а): Чт июл 04, 2024 8:16 pm Этот фундамент очень давно обсуждали в комаровской группе. Тогда написали, что там стоял магазин:
https://m.vk.com/photo-2935_130624661?l ... 5_93517658
Предполагаю,что это было строение определённого предназначения...возможно и магазин,или нечто другое общественное..
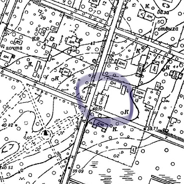
Все время забываю выложить.
На топографической карте он обозначен, как нежилой дом смешанного типа.
- Вложения
-
- IMG_2025-06-09-212820.jpeg (196.07 КБ) 527 просмотров
-
Корвенкюля
- Сообщения: 3697
- Зарегистрирован: Чт окт 20, 2011 9:52 pm
- Защита от спама: Нет
Re: Комаровские дачи и не только
Доброй ночи.abravo писал(а): Пн июн 09, 2025 7:15 pm Остался вопрос - куда лучше отнести дачу Карасимеонова, к ул. Отдыха, Большому пр., Лесному пр.?
Мне вот кажется, что можно отнести к Лесному, ближайший проход/проезд к участку был от него.
Наверное лучше с Лесного. Но я голосую за Большой 18+, ведь уч.Куренкова - единый блок с обоими участками Карасимеонова.
Кстати здесь будет уместна информация обо всём имении Карасимеонова-Синицына. Вроде бы такая информация уже была, но найти не могу.
О Карасимеонове инфу уже выкладывал. Наверное что-то должно быть в теме "Карасимеонов в Сестрорецке".
Его партнер Максим Екимович Синицын (1864 Резекне Виленск.губ.-1934 Л-д Волк.кл.), сын печника, в молодости каменщик, стал крупным строительным подрядчиком в Москве и СПб. Потомственный почетный гражданин. Старообрядец поморского согласия, глава старообрядческой общины Резекне.
Коллекционер икон, предметов церковной старины и книг. Издатель книги «В защиту старой веры».
Ему было присуще «феноменально чувство вкуса» и понимание «древней красоты».
И вот архитектор С.П.Карасимеонов, получивший образование в Австро-Венгрии, и строительный подрядчик М.Е.Синицын, ценитель древнерусской старины, объединили усилия для постройки дачного имения. /далее К+С/
Они (К+С) купили имение в 40 га, идущее полосой от ж-дороги до залива, у наследников нашего терийокского дачника, Рафаэля Карловича фон-Гартмана (Хаартмана) не ранее 1902г. и не позднее 1909г.
Фон-Хаартман явно ничего на участках не строил, видимо «держал про запас».
Свое имение К+С назвали «Булгария» (и Болгарский пр. в нем) в честь родины архитектора.
Из построенных на их участках дач можно видеть лишь дачу Куренкова. Дача Шихина находится вне «Булгарии», хотя очень похожа и с идентичной столяркой, тоже в «русском стиле», возможно ее построили К+С по соседски.
Начавшаяся 1МВ затормозила развитие предприятия, не говоря уж о революции.
Интересный документ 1914г. о взыскании долга с К+С. Долг пустяковый, 35 марок, «за коммуналку». Но в залог угрожают взять все 40 гектаров имения. «Закон суров…» (с) Удивительно.
«Бывшего Статского советника Р. фон-Хаартмана, а ныне Карасимеонова и Синицина имение под названием «Болгария» под № 2-1070, выделенный долей 0,0273 из налогооблагаемого имения «Оллила» №2, а также известный по названием «Рантала» участок площадью 0,33 га, вместе со строениями на них, в дер.Терийоки, по коммунальным терийокским долгам за 1913г. в сумме 24 марки 5 пенни с /накладными расходами/».
- Вложения
-
- 2-1070 им. Булгария фон-Хаартмана - Карасимеонова и Синицына.jpg (341.2 КБ) 515 просмотров
-
- 2-1070 имение Болгария.jpg (90.78 КБ) 515 просмотров
-
- 2-1070 имение Болгария бывш. фон-Хаартмана.jpg (122.67 КБ) 515 просмотров
-
- Синицын книга.jpeg (203.3 КБ) 515 просмотров
- abravo
- Site Admin
- Сообщения: 32610
- Зарегистрирован: Ср дек 24, 2003 12:35 pm
- Откуда: Зеленогорск/Terijoki
- Контактная информация:
Re: Комаровские дачи и не только
Добрый вечер.Корвенкюля писал(а): Вт июн 10, 2025 3:42 amДоброй ночи.abravo писал(а): Пн июн 09, 2025 7:15 pm Остался вопрос - куда лучше отнести дачу Карасимеонова, к ул. Отдыха, Большому пр., Лесному пр.?
Мне вот кажется, что можно отнести к Лесному, ближайший проход/проезд к участку был от него.
Наверное лучше с Лесного. Но я голосую за Большой 18+, ведь уч.Куренкова - единый блок с обоими участками Карасимеонова.
Кстати здесь будет уместна информация обо всём имении Карасимеонова-Синицына. Вроде бы такая информация уже была, но найти не могу.
О Карасимеонове инфу уже выкладывал. Наверное что-то должно быть в теме "Карасимеонов в Сестрорецке".
Поскольку участок Куренкова выделен из «Булгарии» Карасимеонова-Синицына, согласен, давайте сделаем с Большого. Предлагаю назвать "Имение «Булгария» Карасимеонова-Синицына". Если так пойдет, то сегодня-завтра постараюсь сделать.
Справка по Карасимеонову есть в "Сестрорецких дачах", вот здесь, под фотографиями - https://terijoki.spb.ru/photos/index.php?/category/2349
Может быть имеет смысл продублировать, чтобы все были вместе - и Карасимеонов, и Синицын.
- abravo
- Site Admin
- Сообщения: 32610
- Зарегистрирован: Ср дек 24, 2003 12:35 pm
- Откуда: Зеленогорск/Terijoki
- Контактная информация:
Re: Комаровские дачи и не только
Вот, нашел, в описании участка Дембской, который был тоже выделен из "Булгарии" - https://terijoki.spb.ru/photos/index.php?/category/2493.Корвенкюля писал(а): Вт июн 10, 2025 3:42 am Кстати здесь будет уместна информация обо всём имении Карасимеонова-Синицына. Вроде бы такая информация уже была, но найти не могу.
Этот участок "прописан" у нас по Болгарскому проспекту.
- abravo
- Site Admin
- Сообщения: 32610
- Зарегистрирован: Ср дек 24, 2003 12:35 pm
- Откуда: Зеленогорск/Terijoki
- Контактная информация:
Re: Комаровские дачи и не только
Папочка - https://terijoki.spb.ru/photos/index.php?/category/4107Корвенкюля писал(а): Вт июн 10, 2025 3:42 am О Карасимеонове инфу уже выкладывал. Наверное что-то должно быть в теме "Карасимеонов в Сестрорецке".
Его партнер Максим Екимович Синицын (1864 Резекне Виленск.губ.-1934 Л-д Волк.кл.), сын печника, в молодости каменщик, стал крупным строительным подрядчиком в Москве и СПб. Потомственный почетный гражданин. Старообрядец поморского согласия, глава старообрядческой общины Резекне.
Коллекционер икон, предметов церковной старины и книг. Издатель книги «В защиту старой веры».
Ему было присуще «феноменально чувство вкуса» и понимание «древней красоты».
И вот архитектор С.П.Карасимеонов, получивший образование в Австро-Венгрии, и строительный подрядчик М.Е.Синицын, ценитель древнерусской старины, объединили усилия для постройки дачного имения.
На карте (собственная дача Карасимеонова) - https://terijoki.spb.ru/old_dachi/terij ... p?item=486
Re: Комаровские дачи и не только
Дача Эргардта на Морской ул.
Фото с «Мешка».
Фото с «Мешка».
Re: Комаровские дачи и не только
Описание фото:
Фотография. Брянцев А.А. и актеры Ленинградского государственного театра юных зрителей в Комарово. Ленинград. Государственный театр юных зрителей.
1951 г.
Госкаталог.
https://goskatalog.ru/portal/#/collections?id=19560789
Фотография. Брянцев А.А. и актеры Ленинградского государственного театра юных зрителей в Комарово. Ленинград. Государственный театр юных зрителей.
1951 г.
Госкаталог.
https://goskatalog.ru/portal/#/collections?id=19560789
Re: Комаровские дачи и не только
Конверт от письма Сергея Кетлинского – матери В. К. Кетлинской в пос. Комарово Лен. обл.
Госкаталог.
https://goskatalog.ru/portal/#/collections?id=58926594
Госкаталог.
https://goskatalog.ru/portal/#/collections?id=58926594
-
Сергей Ренни
- Сообщения: 4218
- Зарегистрирован: Пн сен 28, 2009 7:55 pm
- Защита от спама: Нет
Re: Комаровские дачи и не только
Привожу в порядок тему в коллекции. Попались свои старые фото. Все известно, Аннотаций не требуется. Может пригодится...








- abravo
- Site Admin
- Сообщения: 32610
- Зарегистрирован: Ср дек 24, 2003 12:35 pm
- Откуда: Зеленогорск/Terijoki
- Контактная информация:
Re: Комаровские дачи и не только
Сергей, спасибо! разложу по "папочкам".Сергей Ренни писал(а): Чт июн 26, 2025 3:34 pm Привожу в порядок тему в коллекции. Попались свои старые фото. Все известно, Аннотаций не требуется. Может пригодится...
На всякий случай по фотографиям:
1-я - бывшая дача Гаардера https://terijoki.spb.ru/old_dachi/terij ... p?item=252
2-я - бывший дом Перонена, почта п. Комарово https://terijoki.spb.ru/old_dachi/terij ... p?item=230
3-я - бывшая дача Тарасова, комаровская контора дачного хозяйства (на фото как раз план гос. дач на 2001 год) https://terijoki.spb.ru/old_dachi/terij ... p?item=229
4-я - вид на дачу Шихина https://terijoki.spb.ru/old_dachi/terij ... p?item=173
- abravo
- Site Admin
- Сообщения: 32610
- Зарегистрирован: Ср дек 24, 2003 12:35 pm
- Откуда: Зеленогорск/Terijoki
- Контактная информация:
Re: Комаровские дачи и не только
Эта же фотография уже из частной коллекции.
Тут есть вопрос с датировкой. На Мешке продавец посчитал, что это фото советского времени. Я очень сильно в этом сомневаюсь. Здание в очень хорошем состоянии, над ним флаг, его плохо видно, но точно не советский, там похоже все-таки белое полотнище с большим крестом, то есть флаг финский. Слева в проеме двери просмтривается человек в гражданской одежде.
У нас есть фото этого же фасада 1942 года с SA-Kuva, все очень похоже, но уже нет украшений (металлических?) на ограждении. Деревья около самой виллы одного размера на обоих фотографиях.
Мое мнение, что это фото сделано незадолго до 1939 года.

Для сравнения - 1942 год.
